Votre courriel a été envoyé.
811 Graham Dr - Town Center Parcel Lot • Terrain commercial • 4,88 Acres • 6 232 095 $ CAD • Sherman, TX 75092



Certaines informations ont été traduites automatiquement.
RÉSUMÉ DE L'ANNONCE
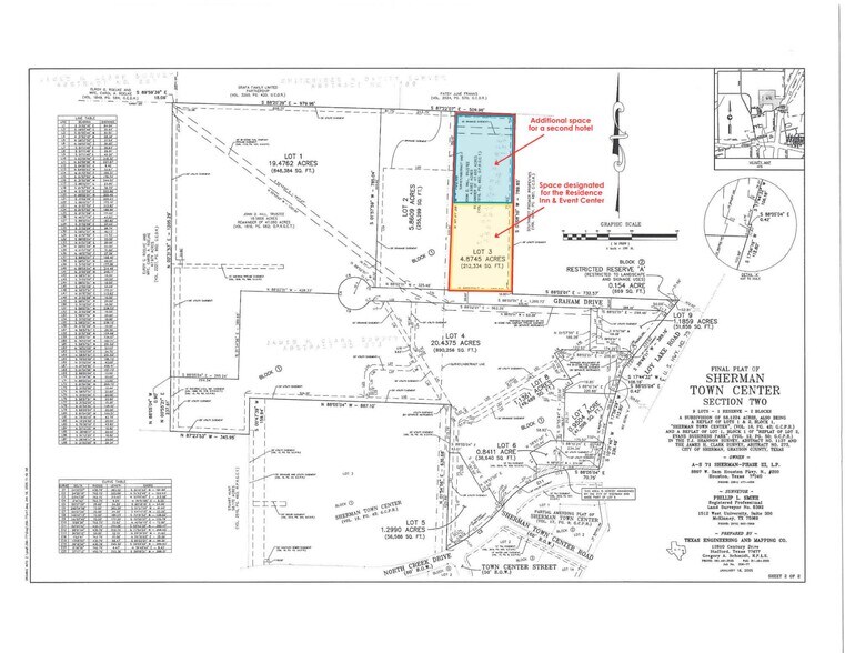
Sherman with a population of 45,000 residents, located only 40 minutes from DFW and having a work force of over 2 million plus. Sherman is a booming city. The parcel can be used to develop Multifamily, Retail, Corporate Head Offices, Office Building, Hotels and etc. This parcel is the last parcel approved to built hotels in the heart of Sherman Town Center.
For more information about this property, and others, please visit tabanirealty.com/listings.
FAITS SUR LA PROPRIÉTÉ
1 LOT DISPONIBLE
Lot
| Prix | 6 232 095 $ CAD | Taille du lot | 4,88 AC |
| Prix par AC | 1 277 068,64 $ CAD |
| Prix | 6 232 095 $ CAD |
| Prix par AC | 1 277 068,64 $ CAD |
| Taille du lot | 4,88 AC |
The parcel is 4.875 acres and is zoned commercial. Ideally situated near the 1.15 million square foot Sherman Town Center shopping center anchored by Walmart, Cinemark, Hobby Lobby, Target, Home Depot and JCPenney with having excellent visibility.
DESCRIPTION
Sherman compte une population de 45 000 résidents et connaît une forte croissance tant au niveau démographique qu'en termes d'investissements. Elle a été désignée comme la 4e ville la plus désirable pour vivre au Texas, selon Sedco. La ville est située à seulement 45 minutes de l'aéroport international DFW et de Dallas Love Field. Avec un trafic routier de 63 406 véhicules sur l'US 75, Sherman continue de s'affirmer comme une ville en pleine expansion dans le corridor du nord du Texas. Avec une main-d'œuvre de plus de 2 millions de personnes, Sherman est bien positionnée pour un élan économique à long terme. Ce terrain peut être utilisé pour développer des projets multifamiliaux, des commerces de détail, des sièges sociaux d'entreprises, des immeubles de bureaux, des hôtels, etc. Ce lot est le dernier terrain approuvé pour la construction d'hôtels au cœur du Sherman Town Center.
Impôts fonciers
| Numéro de lot | 232226 | Évaluation des bâtiments | 0 $ CAD |
| Évaluation du terrain | 1 781 434 $ CAD | Évaluation totale | 1 781 434 $ CAD |
Impôts fonciers
Présenté par
811 Graham Dr - Town Center Parcel
Hmm, il semble y avoir eu une erreur lors de l’envoi de votre message. Veuillez réessayer.
Merci! Votre message a été envoyé.
