Se Connecter/S’inscrire
Votre courriel a été envoyé.
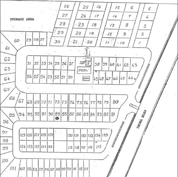
Trona Mobile Home Park 81898 Trona Rd 134 Unité Parc mobile 678 800 $ CAD (5 066 $ CAD/Unité) Trona, CA 93562



Certaines informations ont été traduites automatiquement.
Résumé de l'annonce
Trona Park presents an outstanding investment opportunity on 24.7 acres just south of the entrance to Death Valley, perfectly suited for off-road enthusiasts, tourists, and desert adventurers. This expansive mobile home community features 124 spaces, each with individually metered power, water, gas, and septic hookups-allowing utilities to be billed directly to tenants for long-term stays and streamlining operations for owners. Residents enjoy access to a community swimming pool, while investors benefit from the unique ability for each space to be individually assessed for property taxes by the county, maximizing flexibility and potential returns. The property's prime location ensures a steady flow of both long-term and short-term tenants, with significant upside for upgrades or expansion. With robust infrastructure and amenities already in place, Trona Park is ideal for portfolio growth or as a value-add project. Don't miss this rare chance to own a large-scale mobile home park in a high-demand area-contact us today to schedule a private tour and explore the possibilities.
Faits sur la propriété
Unité renseignements sur le mélange
| Description | Nombre d’unités | Loyer moyen/mois | pi² |
|---|---|---|---|
| Studios | 134 | - | - |
Impôts fonciers
| Numéro de lot | 0486-061-30 | Évaluation des bâtiments | 0 $ CAD |
| Évaluation du terrain | 29 680 $ CAD | Évaluation totale | 29 680 $ CAD |
Impôts fonciers
Numéro de lot
0486-061-30
Évaluation du terrain
29 680 $ CAD
Évaluation des bâtiments
0 $ CAD
Évaluation totale
29 680 $ CAD
1 de 22
Vidéos
Visite extérieure 3D Matterport
Visite 3D Matterport
Photos
Vue depuis la rue
Rue
Carte
Présenté par
Trona Mobile Home Park | 81898 Trona Rd
Vous êtes déjà membre? Connectez-vous
Hmm, il semble y avoir eu une erreur lors de l’envoi de votre message. Veuillez réessayer.
Merci! Votre message a été envoyé.

