Se Connecter/S’inscrire
Votre courriel a été envoyé.
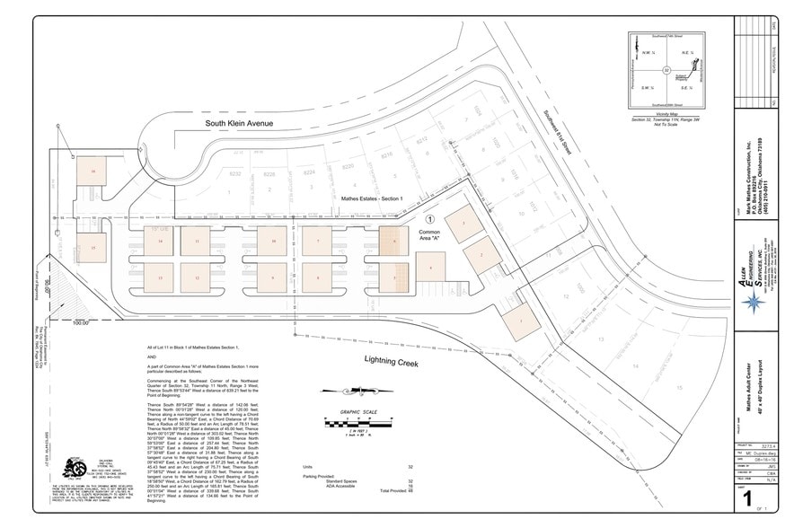
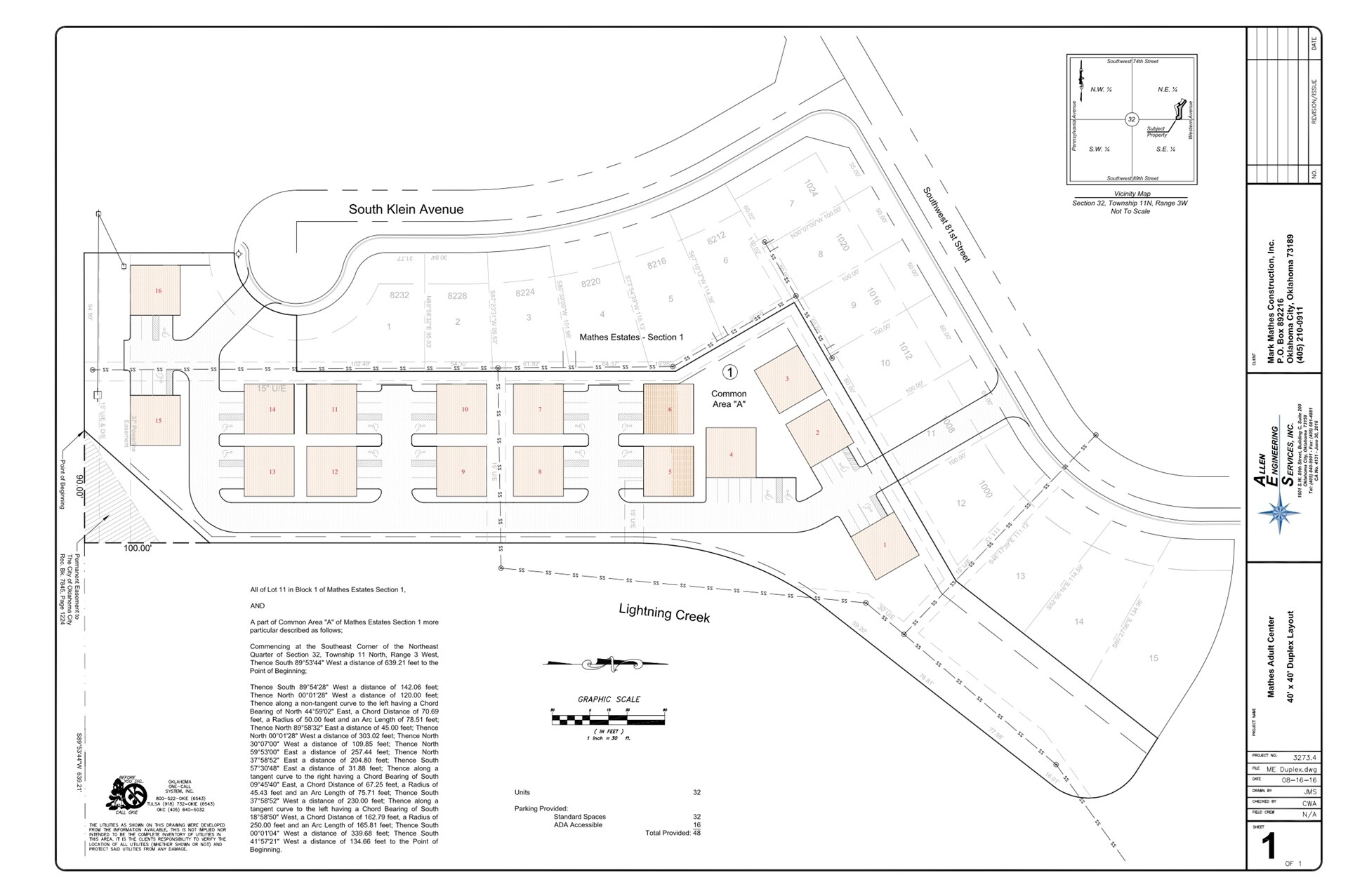
8230 S Klein Ave
Oklahoma City, OK 73139
Senior Housing Land- South OKC · Terrain À vendre
·
3,15 AC


Certaines informations ont été traduites automatiquement.
RÉSUMÉ DE L'ANNONCE
Investment / Development opportunity at 8230 S Klein Ave in Oklahoma City. This property, zoned SPUD, is primed for multifamily or senior living development. Situated just 5 minutes from I-240, the location offers convenient access to major transportation routes. With utilities already on site, it's prepared for seamless development.
FAITS SUR LA PROPRIÉTÉ
| Type de vente | Investissement | Sous-type de propriété | Terrain commercial |
| Nombre de lots | 1 | Utilisation proposée | |
| Type de propriété | Terrain | Taille totale du lot | 3,15 AC |
| Zonage | SPUD 818 | ||
| Type de vente | Investissement |
| Nombre de lots | 1 |
| Type de propriété | Terrain |
| Sous-type de propriété | Terrain commercial |
| Utilisation proposée | |
| Taille totale du lot | 3,15 AC |
| Zonage | SPUD 818 |
1 LOT DISPONIBLE
Lot
| Prix | 590 866 $ CAD | Taille du lot | 3,15 AC |
| Prix par AC | 187 576,51 $ CAD |
| Prix | 590 866 $ CAD |
| Prix par AC | 187 576,51 $ CAD |
| Taille du lot | 3,15 AC |
Investment / Development opportunity at 8230 S Klein Ave in Oklahoma City. This property, zoned SPUD, is primed for multifamily or senior living development. Situated just 5 minutes from I-240, the location offers convenient access to major transport
Impôts fonciers
| Numéro de lot | 207031150 | Évaluation des bâtiments | 0 $ CAD |
| Évaluation du terrain | 23 347 $ CAD | Évaluation totale | 23 347 $ CAD |
Impôts fonciers
Numéro de lot
207031150
Évaluation du terrain
23 347 $ CAD
Évaluation des bâtiments
0 $ CAD
Évaluation totale
23 347 $ CAD
1 de 10
VIDÉOS
VISITE EXTÉRIEURE 3D MATTERPORT
VISITE 3D MATTERPORT
PHOTOS
VUE DEPUIS LA RUE
RUE
CARTE
