Se Connecter/S’inscrire
Votre courriel a été envoyé.
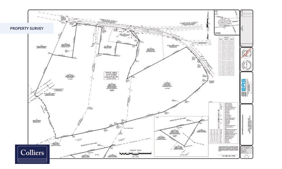
830 E Fairplay Blvd
Fair Play, SC 29643
Terrain À vendre
·
65,00 AC


Certaines informations ont été traduites automatiquement.
Faits saillants de l'investissement
- ±65 acres (5 parcels)
- All utilities available on-site (electric, water, sewer, gas, fiber)
- Unzoned, located in Oconee County, South Carolina
- ±45,000 VPD (via I-85)
Faits sur la propriété
| Type de vente | Propriétaire utilisateur | Sous-type de propriété | Terrain commercial |
| Nombre de lots | 1 | Taille totale du lot | 65,00 AC |
| Type de propriété | Terrain |
| Type de vente | Propriétaire utilisateur |
| Nombre de lots | 1 |
| Type de propriété | Terrain |
| Sous-type de propriété | Terrain commercial |
| Taille totale du lot | 65,00 AC |
1 Lot disponible
Lot
| Taille du lot | 65,00 AC |
| Taille du lot | 65,00 AC |
±65 acres divided between 5 parcels
Description
±65 acres are available for sale along Interstate 85 at Exit 4 in Fair Play, SC (Oconee County). The land is undeveloped and unzoned, allowing for maximum flexibility for a variety of uses. All utilities on-site Blue Ridge Electric Cooperative Pioneer Rural Water District Oconee County Sewer (2027 completion) Upcountry Fiber Fort Hill Natural Gas Tax Map No.: 341-00-02-028 341-00-02-012 341-00-01-010 341-00-01-011 341-00-02-031
Impôts fonciers
| Numéro de lot | 341-00-02-028 | Évaluation des bâtiments | 165 $ CAD |
| Évaluation du terrain | 50 747 $ CAD | Évaluation totale | 50 913 $ CAD |
Impôts fonciers
Numéro de lot
341-00-02-028
Évaluation du terrain
50 747 $ CAD
Évaluation des bâtiments
165 $ CAD
Évaluation totale
50 913 $ CAD
1 de 3
Vidéos
Visite extérieure 3D Matterport
Visite 3D Matterport
Photos
Vue depuis la rue
Rue
Carte
