Se Connecter/S’inscrire
Votre courriel a été envoyé.
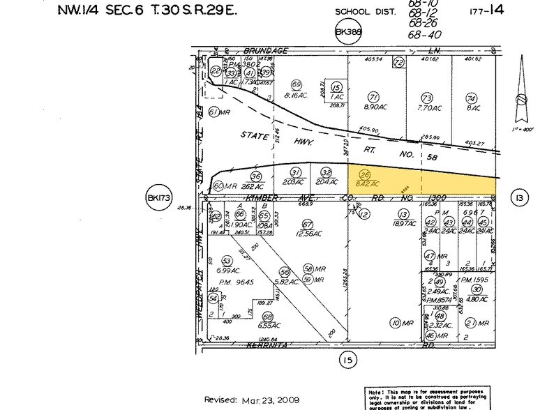
8524 Kimber Ave - Highway 58 Intersection Lot • Terrain commercial • 7,82 Acres • 1 787 448 $ CAD • Bakersfield, CA 93307


Certaines informations ont été traduites automatiquement.
Faits saillants de l'investissement
- Master planned development with approved parcel map and/or fully finished parcels
- Zoned - M1 Light Industrial, City of Bakersfield
- Approximately 1.58 - 7.82 Acres
Résumé de l'annonce
Four (4) fully “finished” parcels can be sold individually or combined with different acreage combinations
Faits sur la propriété
1 Lot disponible
Lot
| Prix | 1 787 448 $ CAD | Taille du lot | 7,82 AC |
| Prix par AC | 228 573,90 $ CAD |
| Prix | 1 787 448 $ CAD |
| Prix par AC | 228 573,90 $ CAD |
| Taille du lot | 7,82 AC |
Parcel 1: $10.00/sf - +/- 2.10 Acres Parcel 2: $10.00/sf - +/- 1.40 Acres Parcel 3: $9.00/sf - +/- 1.72 Acres Parcel 4: $9.00/sf - +/- 1.69 Acres
Description
Four (4) fully “finished” parcels can be sold individually or combined with different acreage combinations.
1 1
Plutôt practicable à pied
20/100
Exceptionnellement facile d'accès en voiture
100/100
Assez praticable en vélo
20/100
Impôts fonciers
| Numéro de lot | 177-140-26-00-6 | Évaluation des bâtiments | 0 $ CAD |
| Évaluation du terrain | 612 034 $ CAD | Évaluation totale | 612 034 $ CAD |
Impôts fonciers
Numéro de lot
177-140-26-00-6
Évaluation du terrain
612 034 $ CAD
Évaluation des bâtiments
0 $ CAD
Évaluation totale
612 034 $ CAD
1 de 3
Vidéos
Visite extérieure 3D Matterport
Visite 3D Matterport
Photos
Vue depuis la rue
Rue
Carte
1 de 1
Présenté par
8524 Kimber Ave - Highway 58 Intersection
Vous êtes déjà membre? Connectez-vous
Hmm, il semble y avoir eu une erreur lors de l’envoi de votre message. Veuillez réessayer.
Merci! Votre message a été envoyé.
