Se Connecter/S’inscrire
Votre courriel a été envoyé.
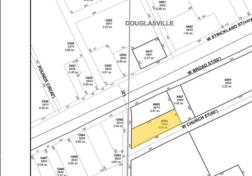
8550 Rose Ave 12 500 pi² Industriel Immeuble Douglasville, GA 30134 1 281 484 $ CAD (102,52 $ CAD/pi²)



Certaines informations ont été traduites automatiquement.
Résumé de l'annonce
Located in the historic downtown Douglasville.
Adjacent to the construction of the new city of Douglasville Town Green. The Town Green features GreyStone Amphitheater, retail and multifamily units.
Located in the recently approved Douglasville TAD area.
At the corner of Rose Avenue and Church Street with approximately 115 feet of frontage on Rose Avenue and 325 feet of frontage on Church Street.
The building was built in 1970 and is a metal building.
Approximately 1,260 SF of office, 2,100 SF of showroom, and 9,140 SF of warehouse. The building also has 2 bathrooms.
Adjacent to the construction of the new city of Douglasville Town Green. The Town Green features GreyStone Amphitheater, retail and multifamily units.
Located in the recently approved Douglasville TAD area.
At the corner of Rose Avenue and Church Street with approximately 115 feet of frontage on Rose Avenue and 325 feet of frontage on Church Street.
The building was built in 1970 and is a metal building.
Approximately 1,260 SF of office, 2,100 SF of showroom, and 9,140 SF of warehouse. The building also has 2 bathrooms.
Faits sur la propriété
| Prix | 1 281 484 $ CAD | Nombre d’étages | 1 |
| Prix par pi² | 102,52 $ CAD | Année de construction | 1982 |
| Type de vente | Propriétaire utilisateur | Location | Unique |
| Type de propriété | Industriel | Ratio de stationnement | 0,64/1 000 pi² |
| Sous-type de propriété | Entrepôt | Effacer hauteur du plafond | 14’ |
| Classe d’immeuble | C | Nbre de quais à portes élevées/de chargement | 1 |
| Taille du lot | 0,72 AC | Nbre d’entrées dans les portes/au niveau du sol | 3 |
| Aire du bâtiment louable | 12 500 pi² | ||
| Zonage | GC - Commercial Général | ||
| Prix | 1 281 484 $ CAD |
| Prix par pi² | 102,52 $ CAD |
| Type de vente | Propriétaire utilisateur |
| Type de propriété | Industriel |
| Sous-type de propriété | Entrepôt |
| Classe d’immeuble | C |
| Taille du lot | 0,72 AC |
| Aire du bâtiment louable | 12 500 pi² |
| Nombre d’étages | 1 |
| Année de construction | 1982 |
| Location | Unique |
| Ratio de stationnement | 0,64/1 000 pi² |
| Effacer hauteur du plafond | 14’ |
| Nbre de quais à portes élevées/de chargement | 1 |
| Nbre d’entrées dans les portes/au niveau du sol | 3 |
| Zonage | GC - Commercial Général |
Commodités
- Affichage
Impôts fonciers
| Numéro de lot | 0016-01-5-A-00004 | Évaluation des bâtiments | 204 669 $ CAD |
| Évaluation du terrain | 119 433 $ CAD | Évaluation totale | 324 102 $ CAD |
Impôts fonciers
Numéro de lot
0016-01-5-A-00004
Évaluation du terrain
119 433 $ CAD
Évaluation des bâtiments
204 669 $ CAD
Évaluation totale
324 102 $ CAD
1 de 37
Vidéos
Visite extérieure 3D Matterport
Visite 3D Matterport
Photos
Vue depuis la rue
Rue
Carte
Présenté par
8550 Rose Ave
Vous êtes déjà membre? Connectez-vous
Hmm, il semble y avoir eu une erreur lors de l’envoi de votre message. Veuillez réessayer.
Merci! Votre message a été envoyé.
Votre message a été envoyé !
Activez votre compte LoopNet dès maintenant pour suivre les propriétés, recevoir des alertes en temps réel, gagner du temps sur vos demandes futures et bien plus encore.

