Se Connecter/S’inscrire
Votre courriel a été envoyé.
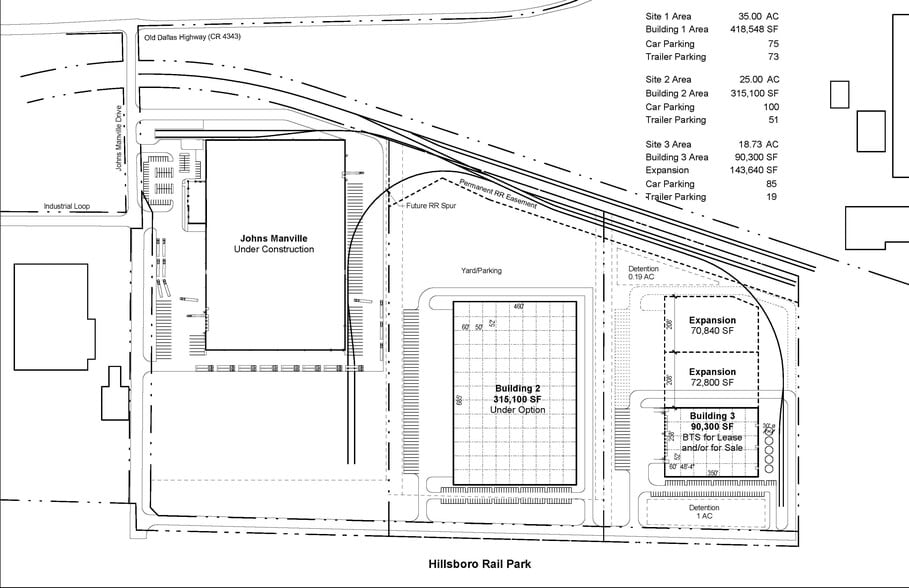
Hillsboro Industrial Rail Park Hillsboro, TX 76645 300 000 pi² d'espace disponible • Industriel


Certaines informations ont été traduites automatiquement.
Faits saillants du parc
- chemin de fer desservi par Union Pacific Railroad
- Construit pour convenir à la location ou à la vente.
Faits sur le parc
| Superficie totale disponible | 300 000 pi² | Type de parc | Parc industriel |
| Superficie totale disponible | 300 000 pi² |
| Type de parc | Parc industriel |
Tous les espaces disponibles(1)
Afficher les taux de location en
Hillsboro Industrial Rail Park
321 England Dr - Building 3
300 000 pi²
|
Sur demande
Sur demande
Sur demande
Sur demande
Sur demande
Sur demande
Type/classe de bâtiment
Industriel/A
Sous-type de bâtiment
Manufacture
Taille du bâtiment
300 000 pi²
Taille du lot
17,73 AC
Construction
Béton renforcé
Hauteur libre
32’
Système de gicleur
ESFR
Zonage
Heavy Industrial - Heavy Industrial, rail served by Union Pacific
- Espace
- Taille
- Terme
- Taux de location
- Utilisation de l’espace
- Aménagement
- Disponible
| Espace | Taille | Terme | Taux de location | Utilisation de l’espace | Aménagement | Disponible |
| 1er étage | 300 000 pi² | Négociable | Sur demande Sur demande Sur demande Sur demande | Industriel | - | Maintenant |
Hillsboro Industrial Rail Park
321 England Dr - Building 3
300 000 pi²
|
Sur demande
Sur demande
Sur demande
Sur demande
Sur demande
Sur demande
Type/classe de bâtiment
Industriel/A
Sous-type de bâtiment
Manufacture
Taille du bâtiment
300 000 pi²
Taille du lot
17,73 AC
Construction
Béton renforcé
Hauteur libre
32’
Système de gicleur
ESFR
Zonage
Heavy Industrial - Heavy Industrial, rail served by Union Pacific
321 England Dr - 1er étage
Taille
300 000 pi²
Terme
Négociable
Taux de location
Sur demande
Sur demande
Sur demande
Sur demande
Utilisation de l’espace
Industriel
Aménagement
-
Disponible
Maintenant
321 England Dr - 1er étage
| Taille | 300 000 pi² |
| Terme | Négociable |
| Taux de location | Sur demande |
| Utilisation de l’espace | Industriel |
| Aménagement | - |
| Disponible | Maintenant |
Sélectionner des locataires à cette propriété
- Nom du locataire
- Secteur
- Johns Manville
- Fabrication
Aperçu du parc
Construit pour convenir à la location ou à la vente. Rail desservi par Union Pacific Railway. Est admissible au programme d'incitatifs fédéraux du crédit d'impôt pour les nouveaux marchés (NMTC).
1 1
Plutôt praticable à pied
20/100
Exceptionnellement facile d’accès en voiture
100/100
Assez praticable en vélo
20/100
1 de 3
Vidéos
Visite extérieure 3D Matterport
Visite 3D Matterport
Photos
Vue depuis la rue
Rue
Carte
1 de 1
Présenté par
Hillsboro Industrial Rail Park | Hillsboro, TX 76645
Vous êtes déjà membre? Connectez-vous
Hmm, il semble y avoir eu une erreur lors de l’envoi de votre message. Veuillez réessayer.
Merci! Votre message a été envoyé.
