Votre courriel a été envoyé.
Certaines informations ont été traduites automatiquement.
Faits saillants de l'investissement
- Disponible à la vente, à la location ou à la construction sur mesure
- Idéal pour un fast-food ou d'autres entreprises de drive-thru
- Emplacement à fort trafic avec une excellente visibilité
- Bâtiment de type drive-thru conçu et approuvé par les municipalités locales
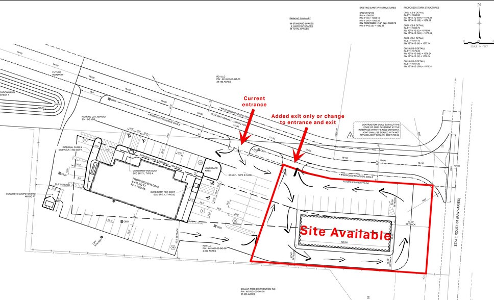
- Idéalement situé près de la State Route 61, avec un accès rapide à l'I-71
- Zoné pour usage commercial, prêt à être mis en valeur immédiatement
Résumé de l'annonce
les entreprises. La propriété est parfaitement adaptée à une variété d'utilisations commerciales, avec le concept drive-thru déjà approuvé, ce qui simplifie le processus de développement pour votre
affaires. Avec son emplacement dans une zone à fort trafic, ce site offre une excellente visibilité et le potentiel de capter un flux constant de clients.
Faits sur la propriété
1 Lot disponible
Lot
| Taille du lot | 0,80 AC |
| Taille du lot | 0,80 AC |
Ce terrain de construction de premier choix est disponible à la vente, à la location ou à la construction sur mesure. Il est stratégiquement situé juste à côté de la State Route 61 et à proximité de l'I-71, offrant un accès facile et haut visibilité. Prix négociable.
Description
Cet espace de construction de premier choix est disponible à la vente, à la location ou à la construction sur mesure. Il est stratégiquement situé juste à côté de la State Route 61 et à proximité de l'I-71, offrant un accès facile et une grande visibilité. Le pavé a été conçu et approuvé par les municipalités locales pour un bâtiment en voiture, ce qui en fait un endroit idéal pour un restaurant de restauration rapide ou autre service rapide les entreprises. La propriété est parfaitement adaptée à une variété d'utilisations commerciales, avec le concept drive-thru déjà approuvé, ce qui simplifie le processus de développement pour votre affaires. Avec son emplacement dans une zone à fort trafic, ce site offre une excellente visibilité et le potentiel de capter un flux constant de clients.
Impôts fonciers
| Numéro de lot | A01-001-00-345-00 | Évaluation des bâtiments | 363 397 $ CAD |
| Évaluation du terrain | 418 531 $ CAD | Évaluation totale | 781 928 $ CAD |
Impôts fonciers
Présenté par
876 State Route 61
Hmm, il semble y avoir eu une erreur lors de l’envoi de votre message. Veuillez réessayer.
Merci! Votre message a été envoyé.




