Se Connecter/S’inscrire
Votre courriel a été envoyé.
Certaines informations ont été traduites automatiquement.
Faits saillants de l'investissement
- DEVELOPMENT POTENTIAL
Résumé de l'annonce
Sewer: Adjacent to property
Water: Adjacent to property
Comments: The property is located within the City of Fresno’s Sphere of Influence, positioning the property for future annexation and growth as the city continues expanding southeast.
Water: Adjacent to property
Comments: The property is located within the City of Fresno’s Sphere of Influence, positioning the property for future annexation and growth as the city continues expanding southeast.
Faits sur la propriété
| Type de vente | Investissement | Sous-type de propriété | Terrain commercial |
| Nombre de lots | 1 | Utilisation proposée | Commercial |
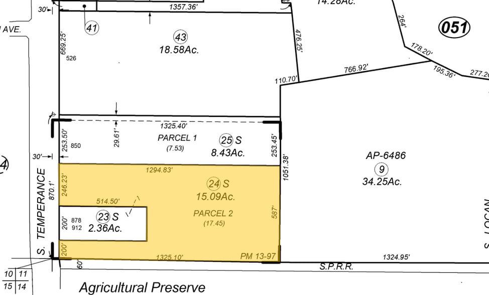
| Type de propriété | Terrain | Taille totale du lot | 15,09 AC |
| Zonage | AE20 - Agricole | ||
| Type de vente | Investissement |
| Nombre de lots | 1 |
| Type de propriété | Terrain |
| Sous-type de propriété | Terrain commercial |
| Utilisation proposée | Commercial |
| Taille totale du lot | 15,09 AC |
| Zonage | AE20 - Agricole |
1 Lot disponible
Lot
| Taille du lot | 15,09 AC |
| Taille du lot | 15,09 AC |
15.09 acres cropland.
1 1
Impraticable à pied
10/100
Exceptionnellement facile d’accès en voiture
100/100
Assez praticable en vélo
30/100
Impôts fonciers
| Numéro de lot | 313-051-24S | Évaluation des bâtiments | 14 475 $ CAD |
| Évaluation du terrain | 644 137 $ CAD | Évaluation totale | 658 612 $ CAD |
Impôts fonciers
Numéro de lot
313-051-24S
Évaluation du terrain
644 137 $ CAD
Évaluation des bâtiments
14 475 $ CAD
Évaluation totale
658 612 $ CAD
1 de 3
Vidéos
Visite extérieure 3D Matterport
Visite 3D Matterport
Photos
Vue depuis la rue
Rue
Carte
1 de 1
Présenté par
878 Temperance Ave
Vous êtes déjà membre? Connectez-vous
Hmm, il semble y avoir eu une erreur lors de l’envoi de votre message. Veuillez réessayer.
Merci! Votre message a été envoyé.


