Se Connecter/S’inscrire
Votre courriel a été envoyé.
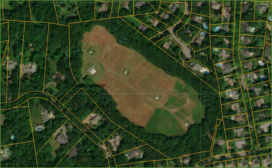
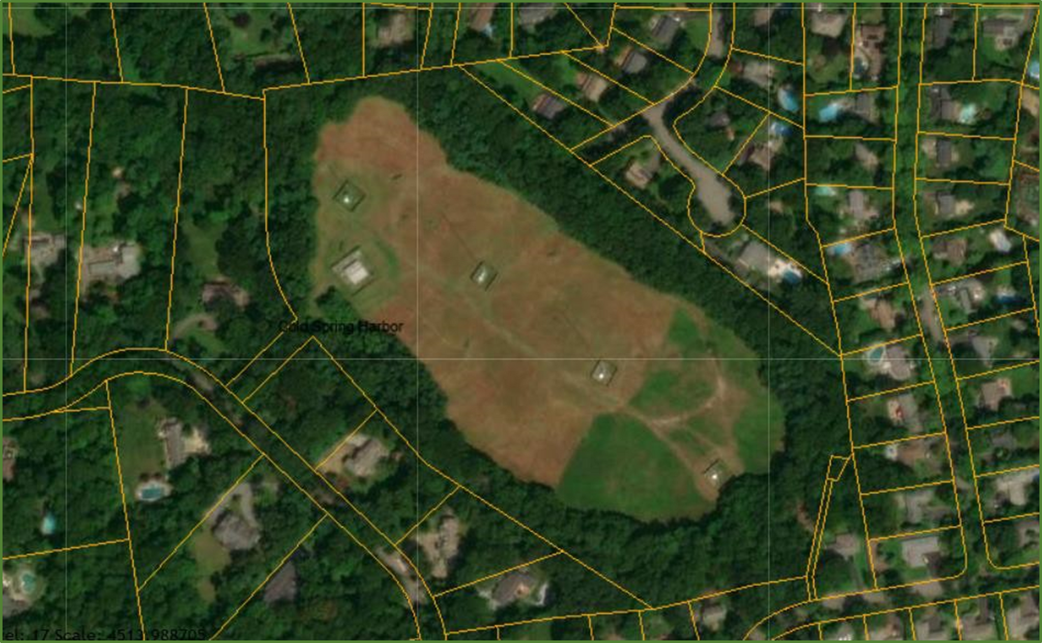
9 Crosby Pl Lot • Terrain commercial • 21,05 Acres • 15 070 000 $ CAD • Cold Spring Harbor, NY 11724



Certaines informations ont été traduites automatiquement.
Résumé de l'annonce
Prime 21-Acre Residential Development Opportunity – Cold Spring Harbor, NY
Rare 21-acre vacant parcel located in the highly desirable Cold Spring Harbor area within the Town of Huntington. The property totals approximately 916,197 sq. ft. with access from Crosby Place, Brandy Road, and Pegs Lane, and features dual zoning:
R-80 (2-acre lots): ~32% (293,183 sq. ft.) – Cold Spring Harbor
R-20 (20,000 sq. ft. lots): ~68% (623,014 sq. ft.) – Huntington
Estimated yield: Up to 16 residential lots
3 lots (R-80)
13 lots (R-20)
All lots are within the Cold Spring Harbor School District.
The seller seeks a buyer prepared to proceed with a six (6) month due diligence period, followed by a closing within one (1) month thereafter.
This versatile parcel offers significant residential development potential in a prime Long Island location. Price is negotiable. Buyers to verify all information independently.
Please contact the listing agent directly for details or showings.
Rare 21-acre vacant parcel located in the highly desirable Cold Spring Harbor area within the Town of Huntington. The property totals approximately 916,197 sq. ft. with access from Crosby Place, Brandy Road, and Pegs Lane, and features dual zoning:
R-80 (2-acre lots): ~32% (293,183 sq. ft.) – Cold Spring Harbor
R-20 (20,000 sq. ft. lots): ~68% (623,014 sq. ft.) – Huntington
Estimated yield: Up to 16 residential lots
3 lots (R-80)
13 lots (R-20)
All lots are within the Cold Spring Harbor School District.
The seller seeks a buyer prepared to proceed with a six (6) month due diligence period, followed by a closing within one (1) month thereafter.
This versatile parcel offers significant residential development potential in a prime Long Island location. Price is negotiable. Buyers to verify all information independently.
Please contact the listing agent directly for details or showings.
Faits sur la propriété
| Prix | 15 070 000 $ CAD | Type de propriété | Terrain |
| Type de vente | Investissement ou propriétaire utilisateur | Sous-type de propriété | Terrain commercial |
| Condition de vente | 1031 Échange | Utilisation proposée | En attente de développement |
| Nombre de lots | 1 | Taille totale du lot | 21,05 AC |
| Zonage | R20 | ||
| Prix | 15 070 000 $ CAD |
| Type de vente | Investissement ou propriétaire utilisateur |
| Condition de vente | 1031 Échange |
| Nombre de lots | 1 |
| Type de propriété | Terrain |
| Sous-type de propriété | Terrain commercial |
| Utilisation proposée | En attente de développement |
| Taille totale du lot | 21,05 AC |
| Zonage | R20 |
1 Lot disponible
Lot
| Prix | 15 070 000 $ CAD | Taille du lot | 21,05 AC |
| Prix par AC | 715 914,49 $ CAD |
| Prix | 15 070 000 $ CAD |
| Prix par AC | 715 914,49 $ CAD |
| Taille du lot | 21,05 AC |
Prime 21-Acre Residential Development Opportunity – Cold Spring Harbor, NY
1 1
Assez praticable à pied
40/100
Très facile d’accès en voiture
80/100
Transports en commun limités
20/100
Plutôt praticable en vélo
40/100
Impôts fonciers
| Numéro de lot | 0400-090-00-03-00-001-001 | Évaluation des bâtiments | 9 727 $ CAD |
| Évaluation du terrain | 6 850 $ CAD | Évaluation totale | 16 577 $ CAD |
Impôts fonciers
Numéro de lot
0400-090-00-03-00-001-001
Évaluation du terrain
6 850 $ CAD
Évaluation des bâtiments
9 727 $ CAD
Évaluation totale
16 577 $ CAD
1 de 5
Vidéos
Visite extérieure 3D Matterport
Visite 3D Matterport
Photos
Vue depuis la rue
Rue
Carte
1 de 1
Présenté par
9 Crosby Pl
Vous êtes déjà membre? Connectez-vous
Hmm, il semble y avoir eu une erreur lors de l’envoi de votre message. Veuillez réessayer.
Merci! Votre message a été envoyé.
