Se Connecter/S’inscrire
Votre courriel a été envoyé.
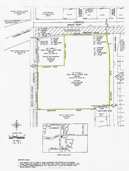
9008 Crimson Ln Lot • Terrain commercial • 5,67 Acres • Fort Worth, TX 76140



Certaines informations ont été traduites automatiquement.
Résumé de l'annonce
5,678 ACRES - Emplacement potentiel du centre commercial, enroulé autour du magasin Dollar sur Corner. Fronts Race et Shelby.
Coin sud-est de Race et Shelby, Fort Worth, Texas.
Communiquez avec le courtier pour plus de détails sur les prix
Coin sud-est de Race et Shelby, Fort Worth, Texas.
Communiquez avec le courtier pour plus de détails sur les prix
Faits sur la propriété
| Type de vente | Investissement | Sous-type de propriété | Terrain commercial |
| Nombre de lots | 1 | Utilisation proposée | |
| Type de propriété | Terrain | Taille totale du lot | 5,67 AC |
| Zonage | FR Commercial | ||
| Type de vente | Investissement |
| Nombre de lots | 1 |
| Type de propriété | Terrain |
| Sous-type de propriété | Terrain commercial |
| Utilisation proposée | |
| Taille totale du lot | 5,67 AC |
| Zonage | FR Commercial |
1 Lot disponible
Lot
| Taille du lot | 5,67 AC |
| Taille du lot | 5,67 AC |
1 1
Impôts fonciers
| Numéro de lot | 04877764 | Évaluation des bâtiments | 0 $ CAD |
| Évaluation du terrain | 168 991 $ CAD | Évaluation totale | 168 991 $ CAD |
Impôts fonciers
Numéro de lot
04877764
Évaluation du terrain
168 991 $ CAD
Évaluation des bâtiments
0 $ CAD
Évaluation totale
168 991 $ CAD
1 de 4
Vidéos
Visite extérieure 3D Matterport
Visite 3D Matterport
Photos
Vue depuis la rue
Rue
Carte
1 de 1
Présenté par
Jim Crowell Realtor
9008 Crimson Ln
Vous êtes déjà membre? Connectez-vous
Hmm, il semble y avoir eu une erreur lors de l’envoi de votre message. Veuillez réessayer.
Merci! Votre message a été envoyé.
Votre message a été envoyé !
Activez votre compte LoopNet dès maintenant pour suivre les propriétés, recevoir des alertes en temps réel, gagner du temps sur vos demandes futures et bien plus encore.
