Se Connecter/S’inscrire
Votre courriel a été envoyé.
Certaines informations ont été traduites automatiquement.
Faits saillants de l'investissement
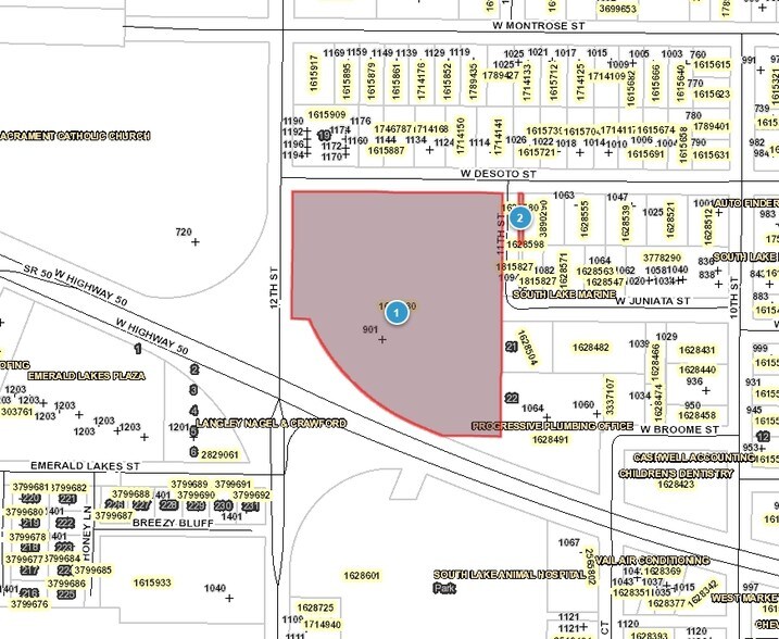
- Highway 50 Frontage in Clermont zoned COMMERCIAL
Résumé de l'annonce
COIN HAUTEMENT VISION à l'AUTOROUTE 50 et 12e Rue à CLERMONT, à quelques blocs du centre-ville de Clermont et de la POINTE VICTOIRE. Cette parcelle comprend 5,943 acres à l'entrée de Clermont en provenance de l'ouest, à une intersection QUATRE WAY Traffic. ZONED PUD (développement d'unités planifiées) pour le secteur commercial et industriel, qui consiste en une approbation de six bâtiments d'une superficie maximale de 60 000 pieds carrés. Les utilisations permises sont des utilisations commerciales, de bureaux, de vente au détail, de restaurants, d'embouteillage et d'entreposage, de spiritueux et d'alcool, de distillerie, de bars et de toute autre distribution associée à la distillerie. Une modification du PUD et/ou un rezonage sont possibles si l'acheteur choisit une autre utilisation pour le site. L'un des derniers sites de remise en état non aménagés près du centre-ville de Clermont rend ce site attrayant. Le Florida Turnpike se trouve à seulement 8,5 milles, avec le centre-ville d'Orlando à 26 milles et Walt Disney World à 30 milles de distance, essentiellement très centralement situé dans l'État.
Faits sur la propriété
| Prix | 6 021 245 $ CAD | Sous-type de propriété | Terrain commercial |
| Type de vente | Investissement | Utilisation proposée | |
| Nombre de lots | 1 | Taille totale du lot | 5,94 AC |
| Type de propriété | Terrain | ||
| Zonage | C-2 | ||
| Prix | 6 021 245 $ CAD |
| Type de vente | Investissement |
| Nombre de lots | 1 |
| Type de propriété | Terrain |
| Sous-type de propriété | Terrain commercial |
| Utilisation proposée | |
| Taille totale du lot | 5,94 AC |
| Zonage | C-2 |
1 Lot disponible
Lot
| Prix | 6 021 245 $ CAD | Taille du lot | 5,94 AC |
| Prix par AC | 1 013 677,61 $ CAD |
| Prix | 6 021 245 $ CAD |
| Prix par AC | 1 013 677,61 $ CAD |
| Taille du lot | 5,94 AC |
Coin élevé visible à l'entrée ouest de la ville de Clermont
Assez praticable à pied
50/100
Très facile d’accès en voiture
80/100
Transports en commun limités
30/100
Plutôt praticable en vélo
50/100
Impôts fonciers
| Numéro de lot | 23-22-25-0500-112-02100 | Évaluation des bâtiments | 15 312 $ CAD |
| Évaluation du terrain | 3 576 667 $ CAD | Évaluation totale | 3 591 979 $ CAD |
Impôts fonciers
Numéro de lot
23-22-25-0500-112-02100
Évaluation du terrain
3 576 667 $ CAD
Évaluation des bâtiments
15 312 $ CAD
Évaluation totale
3 591 979 $ CAD
1 de 22
Vidéos
Visite extérieure 3D Matterport
Visite 3D Matterport
Photos
Vue depuis la rue
Rue
Carte
Présenté par
901 12th St
Vous êtes déjà membre? Connectez-vous
Hmm, il semble y avoir eu une erreur lors de l’envoi de votre message. Veuillez réessayer.
Merci! Votre message a été envoyé.




