Se Connecter/S’inscrire
Votre courriel a été envoyé.
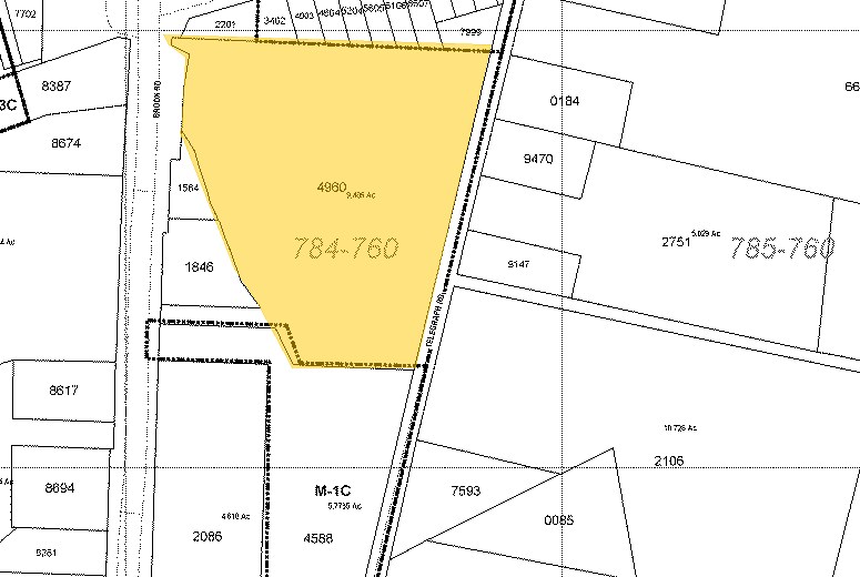
9015 Brook Rd
Glen Allen, VA 23060
Commerce de détail Propriété À vendre


Certaines informations ont été traduites automatiquement.
RÉSUMÉ DE L'ANNONCE
Freestanding Retail Building on Brook Road
— 7,157 SF located on 2.04 acres
— B-3 zoning, built in 1998
— 100 surface parking spaces available
— Located on a highly trafficked corridor (±20,000 ADT Brook Road) with easy access to I-95
— Surrounded by various residential and multifamily developments
— $2,200,000 for sale, $22.00/SF NNN for lease
— 7,157 SF located on 2.04 acres
— B-3 zoning, built in 1998
— 100 surface parking spaces available
— Located on a highly trafficked corridor (±20,000 ADT Brook Road) with easy access to I-95
— Surrounded by various residential and multifamily developments
— $2,200,000 for sale, $22.00/SF NNN for lease
FAITS SUR LA PROPRIÉTÉ
Type de vente
Investissement ou propriétaire utilisateur
Type de propriété
Commerce de détail
Sous-type de propriété
Immeuble de commerce
Taille du bâtiment
7 157 pi²
Classe d’immeuble
B
Année de construction
1998
Prix
3 045 900 $ CAD
Prix par pi²
425,58 $ CAD
Pourcentage loué
Vacant
Location
Multiples
Hauteur du bâtiment
1 étage
Coefficient d’occupation des sols de l’immeuble
0,08
Taille du lot
2,00 AC
Zonage
B-3 - Affaires générales
Stationnement
100 places (13,97 places par 1 000 pi² loué)
COMMODITÉS
- Service au volant
Impôts fonciers
| Numéro de lot | 784-760-2885 | Évaluation des bâtiments | 1 702 797 $ CAD |
| Évaluation du terrain | 651 269 $ CAD | Évaluation totale | 2 354 065 $ CAD |
Impôts fonciers
Numéro de lot
784-760-2885
Évaluation du terrain
651 269 $ CAD
Évaluation des bâtiments
1 702 797 $ CAD
Évaluation totale
2 354 065 $ CAD
1 de 10
VIDÉOS
VISITE EXTÉRIEURE 3D MATTERPORT
VISITE 3D MATTERPORT
PHOTOS
VUE DEPUIS LA RUE
RUE
CARTE
