Se Connecter/S’inscrire
Votre courriel a été envoyé.
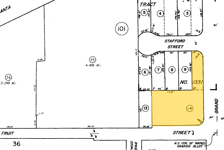
902 N Grand Ave
Santa Ana, CA 92701
Bureau Propriété À vendre


Certaines informations ont été traduites automatiquement.
Faits saillants de l'investissement
- Potential COVERED DEVELOPMENT PLAY.....Combine with Contiguous Property.
- Seller is Open to Discuss JOINT VENTURE.....or other Participation Options.
- City of Santa Ana HIGH DENSITY ZONING DISTRICT.....Possibly 125 units / acre.
Résumé de l'annonce
* Value Add Medical & General Office Building...with significant Upside.
* Corner location in Central Business area of Santa Ana.
* +/- 20,000 SF currently generating almost $20,000 / month Gross Rent.
* Potential for COVERED DEVELOPMENT PLAY. Current Leases are Short Term.
* Property is +/- .76 Acres....Could be combined with contiguous parcel.
* Project is located in a High Density Zone.....Possible 125 units / ac.
* Seller will consider the possibility of JV or other Participation.
* Corner location in Central Business area of Santa Ana.
* +/- 20,000 SF currently generating almost $20,000 / month Gross Rent.
* Potential for COVERED DEVELOPMENT PLAY. Current Leases are Short Term.
* Property is +/- .76 Acres....Could be combined with contiguous parcel.
* Project is located in a High Density Zone.....Possible 125 units / ac.
* Seller will consider the possibility of JV or other Participation.
Faits sur la propriété
Type de vente
Investissement ou propriétaire utilisateur
Conditions de vente
Type de propriété
Bureau
Sous-type de propriété
Médical
Taille du bâtiment
20 043 pi²
Classe d’immeuble
B
Année de construction
1987
Prix
7 832 420 $ CAD
Prix par pi²
390,78 $ CAD
Pourcentage loué
100%
Location
Multiples
Hauteur du bâtiment
2 étages
Superficie de plancher typique
10 022 pi²
Coefficient d’occupation des sols de l’immeuble
0,61
Taille du lot
0,76 AC
Zone de développement économique
Oui
Zonage
DC-5 - Le zonage District Center–High (DC-5) permet jusqu'à 125 unités par acre, un ratio d'occupation du sol (FAR) de 5,0 et des hauteurs de bâtiment allant jusqu'à 25 étages.
Stationnement
55 places (2,74 places par 1 000 pi² loué)
Commodités
- Ligne d'autobus
- Gestionnaire d'immeuble sur place
- Système de sécurité
- Lumière naturelle
- Plan ouvert
- Planchers de bois franc
- Climatisation
- Balcon
Impôts fonciers
| Numéro de lot | 398-101-14 | Évaluation des bâtiments | 2 552 192 $ CAD |
| Évaluation du terrain | 2 165 701 $ CAD | Évaluation totale | 4 717 893 $ CAD |
Impôts fonciers
Numéro de lot
398-101-14
Évaluation du terrain
2 165 701 $ CAD
Évaluation des bâtiments
2 552 192 $ CAD
Évaluation totale
4 717 893 $ CAD
1 de 29
Vidéos
Visite extérieure 3D Matterport
Visite 3D Matterport
Photos
Vue depuis la rue
Rue
Carte
