Se Connecter/S’inscrire
Votre courriel a été envoyé.
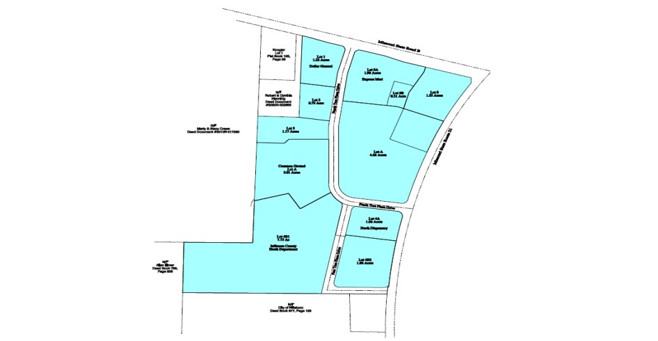
902 Peach Tree Plaza Dr - Peach Tree Plaza Development Lots • Terrain commercial • 0,79-4,68 Acre • Hillsboro, MO 63050



Certaines informations ont été traduites automatiquement.
Faits saillants de l'investissement
- Détaillants actuels : Express Mart c-store, Dollar General, O'Reilly Auto Parts, North Dispensary, département de la santé du comté de Jefferson
- 11 618 véhicules combinés par jour sur les autoroutes 21 et B
Résumé de l'annonce
Plus de 10 acres restants avec les parcelles 2, 3, 8, A et 4B2 disponibles à la vente. Vendeur prêt à ajuster les lignes de lot.
Faits sur la propriété
| Type de vente | Investissement | Sous-type de propriété | Terrain commercial |
| Nombre de lots | 5 | Taille totale du lot | 10,05 AC |
| Type de propriété | Terrain | ||
| Zonage | C2 | ||
| Type de vente | Investissement |
| Nombre de lots | 5 |
| Type de propriété | Terrain |
| Sous-type de propriété | Terrain commercial |
| Taille totale du lot | 10,05 AC |
| Zonage | C2 |
5 Lots disponibles
Lot 8
| Taille du lot | 1,55 AC |
| Taille du lot | 1,55 AC |
Lot A
| Taille du lot | 4,68 AC |
| Taille du lot | 4,68 AC |
Lot 2
| Taille du lot | 0,79 AC |
| Taille du lot | 0,79 AC |
Lot 3
| Taille du lot | 1,17 AC |
| Taille du lot | 1,17 AC |
Lot 4B2
| Taille du lot | 1,86 AC |
| Taille du lot | 1,86 AC |
Description
Développement commercial Peach Tree Plaza, situé au coin de l'autoroute 21 et de l'autoroute B.
Plutôt praticable à pied
20/100
Exceptionnellement facile d’accès en voiture
100/100
Impraticable en vélo
10/100
Impôts fonciers
| Numéros de lot | Évaluation des bâtiments | 0 $ CAD | |
| Évaluation du terrain | 144 203 $ CAD | Évaluation totale | 144 203 $ CAD |
Impôts fonciers
Numéros de lot
Évaluation du terrain
144 203 $ CAD
Évaluation des bâtiments
0 $ CAD
Évaluation totale
144 203 $ CAD
1 de 4
Vidéos
Visite extérieure 3D Matterport
Visite 3D Matterport
Photos
Vue depuis la rue
Rue
Carte
Présenté par
902 Peach Tree Plaza Dr - Peach Tree Plaza Development
Vous êtes déjà membre? Connectez-vous
Hmm, il semble y avoir eu une erreur lors de l’envoi de votre message. Veuillez réessayer.
Merci! Votre message a été envoyé.

