Se Connecter/S’inscrire
Votre courriel a été envoyé.
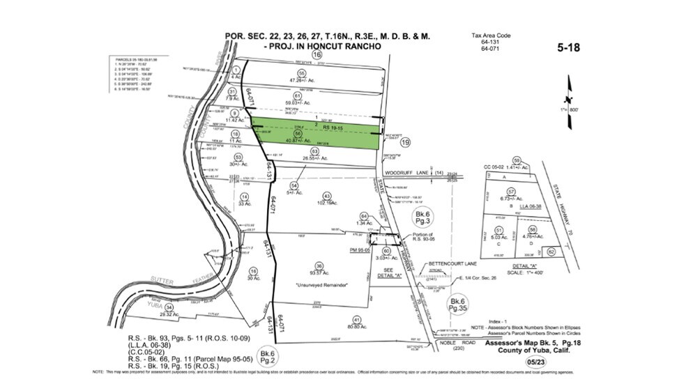
9080 State Highway 70
Marysville, CA 95901
40.87 Acres of Peaches · Terrain À vendre
·
40,87 AC


Certaines informations ont été traduites automatiquement.
Résumé de l'annonce
Un total de +/- 40,87 acres de terrain planté de pêches, une maison d'un étage de 1 670 pieds carrés avec un garage de 2 voitures et un hangar de 2 250 pieds carrés. La propriété en question a un accès direct depuis la State Highway 70 et une façade de 584 pieds le long de la State Highway 70. Il y a un puits agricole situé au centre de la propriété, ainsi qu'une pompe récemment remplacée.
La propriété est actuellement améliorée avec 5 blocs de pêches plantés sur un espacement de 13 pi x 18 pi. Le bloc 1 a environ 2 ans, le bloc 2 a environ 8 ans, le bloc 3 a environ 6 ans, le bloc 4 a environ 10 ans, et le bloc cinq a été récemment planté et a environ 1 an.
La propriété est actuellement améliorée avec 5 blocs de pêches plantés sur un espacement de 13 pi x 18 pi. Le bloc 1 a environ 2 ans, le bloc 2 a environ 8 ans, le bloc 3 a environ 6 ans, le bloc 4 a environ 10 ans, et le bloc cinq a été récemment planté et a environ 1 an.
Faits sur la propriété
| Type de vente | Investissement | Sous-type de propriété | Ferme |
| Nombre de lots | 1 | Utilisation proposée | Agricole |
| Type de propriété | Terrain | Taille totale du lot | 40,87 AC |
| Type de vente | Investissement |
| Nombre de lots | 1 |
| Type de propriété | Terrain |
| Sous-type de propriété | Ferme |
| Utilisation proposée | Agricole |
| Taille totale du lot | 40,87 AC |
1 Lot disponible
Lot
| Prix | 1 958 685 $ CAD | Taille du lot | 40,87 AC |
| Prix par AC | 47 924,77 $ CAD |
| Prix | 1 958 685 $ CAD |
| Prix par AC | 47 924,77 $ CAD |
| Taille du lot | 40,87 AC |
1 de 3
Vidéos
Visite extérieure 3D Matterport
Visite 3D Matterport
Photos
Vue depuis la rue
Rue
Carte
