Se Connecter/S’inscrire
Votre courriel a été envoyé.
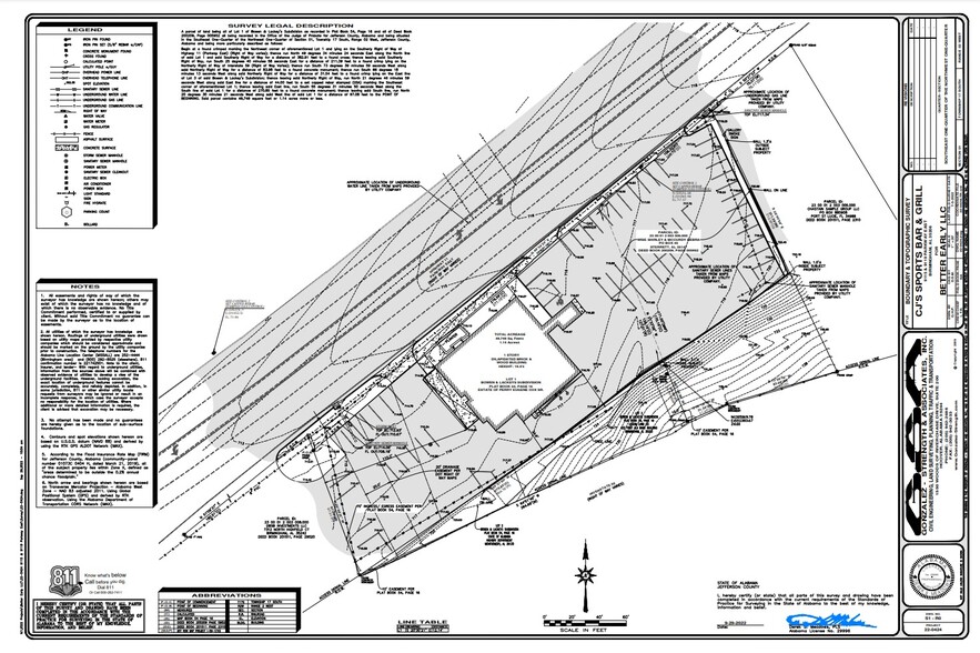
9115 Parkway E Lot • Terrain commercial • 1,23 Acres • 779 578 $ CAD • Birmingham, AL 35206


Certaines informations ont été traduites automatiquement.
Faits saillants de l'investissement
- Pas dans la plaine inondable.
- Accès aux égouts.
Faits sur la propriété
| Prix | 779 578 $ CAD | Sous-type de propriété | Terrain commercial |
| Type de vente | Investissement | Taille totale du lot | 1,23 AC |
| Nombre de lots | 1 | Zone de développement économique |
Oui
|
| Type de propriété | Terrain | ||
| Zonage | CB2 | ||
| Prix | 779 578 $ CAD |
| Type de vente | Investissement |
| Nombre de lots | 1 |
| Type de propriété | Terrain |
| Sous-type de propriété | Terrain commercial |
| Taille totale du lot | 1,23 AC |
| Zone de développement économique |
Oui |
| Zonage | CB2 |
1 Lot disponible
Lot
| Prix | 779 578 $ CAD | Taille du lot | 1,23 AC |
| Prix par AC | 633 802,91 $ CAD |
| Prix | 779 578 $ CAD |
| Prix par AC | 633 802,91 $ CAD |
| Taille du lot | 1,23 AC |
Le terrain se trouve sur la promenade Est — près de la sortie I-59.
1 1
Assez praticable à pied
40/100
Exceptionnellement facile d’accès en voiture
100/100
Transports en commun limités
30/100
Assez praticable en vélo
20/100
Impôts fonciers
| Numéro de lot | 23-00-01-2-003-006.000 | Évaluation des bâtiments | 0 $ CAD |
| Évaluation du terrain | 0 $ CAD | Évaluation totale | 74 731 $ CAD |
Impôts fonciers
Numéro de lot
23-00-01-2-003-006.000
Évaluation du terrain
0 $ CAD
Évaluation des bâtiments
0 $ CAD
Évaluation totale
74 731 $ CAD
1 de 3
Vidéos
Visite extérieure 3D Matterport
Visite 3D Matterport
Photos
Vue depuis la rue
Rue
Carte
1 de 1
Présenté par
9115 Parkway E
Vous êtes déjà membre? Connectez-vous
Hmm, il semble y avoir eu une erreur lors de l’envoi de votre message. Veuillez réessayer.
Merci! Votre message a été envoyé.
