Se Connecter/S’inscrire
Votre courriel a été envoyé.
Certaines informations ont été traduites automatiquement.
Faits saillants de l'investissement
- Prime ±9.67-acre infill site in East Oakland with immediate freeway and transit access.
- Zoning overlays allow for diverse housing types, density bonuses, and streamlined approvals.
- Close to major employers, retail centers, and recreational amenities in the Bay Area.
- Located near Coliseum BART, San Leandro BART, and Oakland International Airport.
- Positioned adjacent to a successful residential community, reinforcing market demand.
Résumé de l'annonce
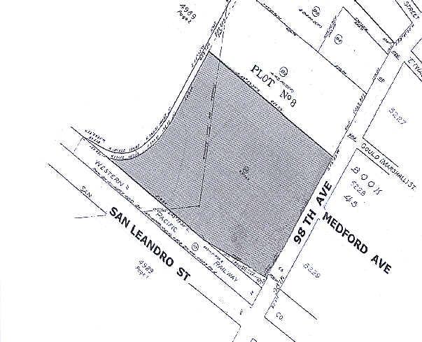
±9.67-acre residential development opportunity in Oakland, CA. The property consists of two parcels located in East Oakland, near the border of the neighboring City of San Leandro. It occupies a unique position adjacent to the highly successful Arcadia Park development by Pulte Homes. With ample acreage, the site offers the flexibility to support a range of housing types. Additionally, local impact fees may be waived or reduced, and density bonuses are available through the inclusion of affordable housing, enhancing the property’s development potential.
Faits sur la propriété
| Type de vente | Investissement | Utilisation proposée | Multi-résidentiel |
| Nombre de lots | 1 | Taille totale du lot | 9,68 AC |
| Type de propriété | Terrain | Location | Unique |
| Sous-type de propriété | Terrain commercial | ||
| Zonage | HBX-2 - Housing and Business Mix | ||
| Type de vente | Investissement |
| Nombre de lots | 1 |
| Type de propriété | Terrain |
| Sous-type de propriété | Terrain commercial |
| Utilisation proposée | Multi-résidentiel |
| Taille totale du lot | 9,68 AC |
| Location | Unique |
| Zonage | HBX-2 - Housing and Business Mix |
1 Lot disponible
Lot
| Taille du lot | 9,68 AC |
| Taille du lot | 9,68 AC |
1 1
Plutôt praticable à pied
30/100
Exceptionnellement facile d’accès en voiture
100/100
Bons transports en commun
60/100
Plutôt praticable en vélo
50/100
Impôts fonciers
| Numéros de lot | Évaluation des bâtiments | 0 $ CAD | |
| Évaluation du terrain | 11 221 958 $ CAD | Évaluation totale | 11 221 958 $ CAD |
Impôts fonciers
Numéros de lot
Évaluation du terrain
11 221 958 $ CAD
Évaluation des bâtiments
0 $ CAD
Évaluation totale
11 221 958 $ CAD
1 de 4
Vidéos
Visite extérieure 3D Matterport
Visite 3D Matterport
Photos
Vue depuis la rue
Rue
Carte
1 de 1
Présenté par
921 98th Ave
Vous êtes déjà membre? Connectez-vous
Hmm, il semble y avoir eu une erreur lors de l’envoi de votre message. Veuillez réessayer.
Merci! Votre message a été envoyé.



