Se Connecter/S’inscrire
Votre courriel a été envoyé.
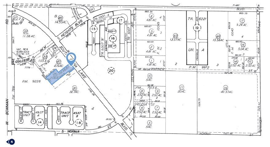
935 S China Lake Blvd - 2.08 Acres of Retail Land Lot • Terrain commercial • 2,08 Acres • Ridgecrest, CA 93555


Certaines informations ont été traduites automatiquement.
Faits saillants de l'investissement
- En face du Walmart Supercenter
- Deux tampons disponibles à l'achat et/ou à la location (5 000 sf et 8 000 sf)
- Aire de stationnement pavée
- Ridgecrest est le centre commercial et médical de la région, ancré par le Southern Sierra Regional Hospital
Faits sur la propriété
| Type de vente | Investissement | Sous-type de propriété | Terrain commercial |
| Nombre de lots | 1 | Utilisation proposée | |
| Type de propriété | Terrain | Taille totale du lot | 2,08 AC |
| Zonage | Commercial | ||
| Type de vente | Investissement |
| Nombre de lots | 1 |
| Type de propriété | Terrain |
| Sous-type de propriété | Terrain commercial |
| Utilisation proposée | |
| Taille totale du lot | 2,08 AC |
| Zonage | Commercial |
1 Lot disponible
Lot
| Taille du lot | 2,08 AC |
| Taille du lot | 2,08 AC |
2 plaques totalisant +/- 2,08 acres.
Description
La propriété en question consiste en un terrain commercial de 2,08 acres à vendre en face d'un supercentre Walmart de 235 000 pi2 situé à Ridgecrest, en Californie.
1 1
Impôts fonciers
| Numéro de lot | 509-020-35-00-6 | Évaluation des bâtiments | 62 238 $ CAD |
| Évaluation du terrain | 784 249 $ CAD | Évaluation totale | 846 488 $ CAD |
Impôts fonciers
Numéro de lot
509-020-35-00-6
Évaluation du terrain
784 249 $ CAD
Évaluation des bâtiments
62 238 $ CAD
Évaluation totale
846 488 $ CAD
1 de 3
Vidéos
Visite extérieure 3D Matterport
Visite 3D Matterport
Photos
Vue depuis la rue
Rue
Carte
1 de 1
Présenté par
935 S China Lake Blvd - 2.08 Acres of Retail Land
Vous êtes déjà membre? Connectez-vous
Hmm, il semble y avoir eu une erreur lors de l’envoi de votre message. Veuillez réessayer.
Merci! Votre message a été envoyé.
