Se Connecter/S’inscrire
Votre courriel a été envoyé.
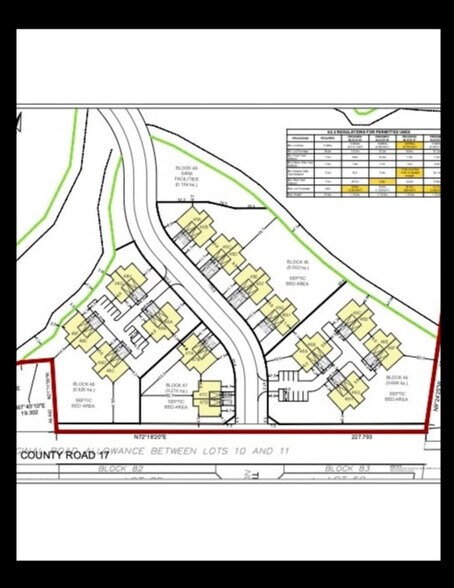
937045 Airport rd - Draft Plan Approved 72 Lots Lot • Résidentiel • 53 Acres • 17 500 000 $ CAD • Mulmur, ON L9V 0L6



Certaines informations ont été traduites automatiquement.
RÉSUMÉ DE L'ANNONCE
Excellente opportunité pour des maisons sur des terrains rares. Propriété à développer avec eau municipale (allouée) et services sanitaires privés. Le développement peut être réalisé par phases. Tous les rapports, y compris les études géotechniques, hydrogéologiques, EIS & EAS, les estimations de services, les plans conceptuels de maisons de plain-pied semi-construites et les conditions du plan préliminaire, sont disponibles. La propriété est idéalement située dans le village de Mansfield, à 45 minutes du Grand Toronto, près des commodités commerciales d'Alliston et des attractions récréatives de la région de Blue Mountain/Collingwood. À proximité du Mansfield Ski Club et du Mansfield Outdoor Centre. Financement par le vendeur (VTB) disponible. Le courtier est actionnaire de la société vendeuse.
FAITS SUR LA PROPRIÉTÉ
1 LOT DISPONIBLE
Lot
| Prix | 17 500 000 $ CAD | Taille du lot | 53,00 AC |
| Prix par AC | 330 188,68 $ CAD |
| Prix | 17 500 000 $ CAD |
| Prix par AC | 330 188,68 $ CAD |
| Taille du lot | 53,00 AC |
Subdivision rare avec zonage et plan préliminaire approuvé pour des terrains résidentiels à Mansfield, Ontario. Comprend 42 terrains résidentiels (environ 1/2 acre) et 28 terrains pour des bungalows semi-détachés, conçus pour un mode de vie adulte, pour un total de 72 terrains. Situé dans les magnifiques collines ondulées du comté de Dufferin.
1 1
1 de 5
VIDÉOS
VISITE EXTÉRIEURE 3D MATTERPORT
VISITE 3D MATTERPORT
PHOTOS
VUE DEPUIS LA RUE
RUE
CARTE
1 de 1
Présenté par
Arlington Commercial Properties Inc
937045 Airport rd - Draft Plan Approved 72 Lots
Vous êtes déjà membre? Connectez-vous
Hmm, il semble y avoir eu une erreur lors de l’envoi de votre message. Veuillez réessayer.
Merci! Votre message a été envoyé.
