Se Connecter/S’inscrire
Votre courriel a été envoyé.
Certaines informations ont été traduites automatiquement.
Résumé de l'annonce
Appelez l'agent pour les options d'achat !
Faits sur la propriété
Type de vente
Investissement ou propriétaire utilisateur
Type de propriété
Bureau
Sous-type de propriété
Médical
Taille du bâtiment
6 166 pi²
Classe d’immeuble
B
Année de construction
2004
Pourcentage loué
54%
Location
Multiples
Hauteur du bâtiment
1 étage
Superficie de plancher typique
6 166 pi²
Coefficient d’occupation des sols de l’immeuble
0,22
Taille du lot
0,63 AC
Zonage
BP-DS - Bureau professionnel
Stationnement
28 places (4,54 places par 1 000 pi² loué)
Commodités
- Accès contrôlé
- Affichage
- Réception
- Climatisation
Disponibilité des espaces
- Espace
- Taille
- Utilisation de l’espace
- État
- Disponible
Usage autorisé pour bureaux, médical ou dentaire.
| Espace | Taille | Utilisation de l’espace | État | Disponible |
| 1er étage | 1 275 à 2 816 pi² | Bureau/Médical | construction complète | Maintenant |
1er étage
| Taille |
| 1 275 à 2 816 pi² |
| Utilisation de l’espace |
| Bureau/Médical |
| État |
| construction complète |
| Disponible |
| Maintenant |
1er étage
| Taille | 1 275 à 2 816 pi² |
| Utilisation de l’espace | Bureau/Médical |
| État | construction complète |
| Disponible | Maintenant |
Usage autorisé pour bureaux, médical ou dentaire.
1 1
Impôts fonciers
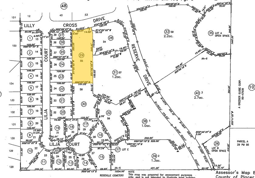
| Numéro de lot | 015-490-029 | Évaluation des bâtiments | 1 536 356 $ CAD |
| Évaluation du terrain | 1 075 048 $ CAD | Évaluation totale | 2 611 404 $ CAD |
Impôts fonciers
Numéro de lot
015-490-029
Évaluation du terrain
1 075 048 $ CAD
Évaluation des bâtiments
1 536 356 $ CAD
Évaluation totale
2 611 404 $ CAD
1 de 32
Vidéos
Visite extérieure 3D Matterport
Visite 3D Matterport
Photos
Vue depuis la rue
Rue
Carte
1 de 1
Présenté par
Bldg 6 | 951 Reserve Dr
Vous êtes déjà membre? Connectez-vous
Hmm, il semble y avoir eu une erreur lors de l’envoi de votre message. Veuillez réessayer.
Merci! Votre message a été envoyé.



