Se Connecter/S’inscrire
Votre courriel a été envoyé.
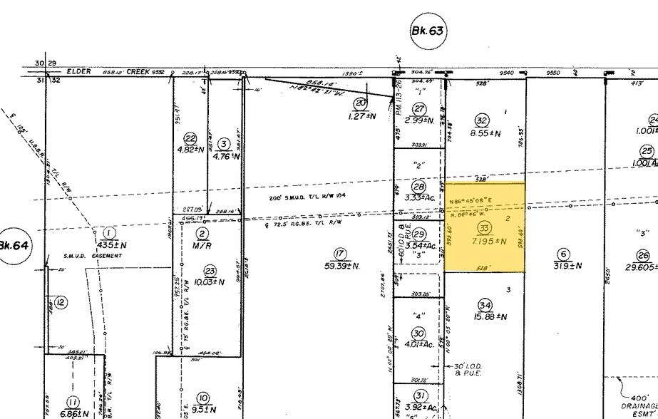
9540 Elder Creek Rd - Site For Single Tenant Industrial Building Lot • Terrain industriel • 7,19 Acres • 2 872 023 $ CAD • Sacramento, CA 95829


Certaines informations ont été traduites automatiquement.
Résumé de l'annonce
« 9540, chemin Elder Creek : ±7,2 acres
« Industrielle légère zonée M1 selon les registres publics
« Accès facile à l'autoroute 50 ou à l'autoroute 99
« Accès à l'allée pavée
« Lignes de communication et électricité reliées à la propriété
« CC&R » existants
« Extinction d'incendie - Réservoir de stockage de 68 000 gallons avec station de pompage
« Pompes de puits d'eau de 10 ch et 3/4 hp
« Matériel de remplissage supplémentaire sur place pour le futur tampon
« Plans conceptuels du bâtiment et du site disponibles
Situé à côté du nouveau paysage Carson
installation
« Industrielle légère zonée M1 selon les registres publics
« Accès facile à l'autoroute 50 ou à l'autoroute 99
« Accès à l'allée pavée
« Lignes de communication et électricité reliées à la propriété
« CC&R » existants
« Extinction d'incendie - Réservoir de stockage de 68 000 gallons avec station de pompage
« Pompes de puits d'eau de 10 ch et 3/4 hp
« Matériel de remplissage supplémentaire sur place pour le futur tampon
« Plans conceptuels du bâtiment et du site disponibles
Situé à côté du nouveau paysage Carson
installation
Faits sur la propriété
| Prix | 2 872 023 $ CAD | Utilisation proposée | Industriel |
| Type de vente | Propriétaire utilisateur | Taille totale du lot | 7,20 AC |
| Nombre de lots | 1 | Nombre d’étages | 1 |
| Type de propriété | Terrain | Location | Unique |
| Sous-type de propriété | Terrain industriel | Zone de développement économique |
Oui
|
| Zonage | M1 - Industrie légère | ||
| Prix | 2 872 023 $ CAD |
| Type de vente | Propriétaire utilisateur |
| Nombre de lots | 1 |
| Type de propriété | Terrain |
| Sous-type de propriété | Terrain industriel |
| Utilisation proposée | Industriel |
| Taille totale du lot | 7,20 AC |
| Nombre d’étages | 1 |
| Location | Unique |
| Zone de développement économique |
Oui |
| Zonage | M1 - Industrie légère |
1 Lot disponible
Lot
| Prix | 2 872 023 $ CAD | Taille du lot | 7,20 AC |
| Prix par AC | 399 169,29 $ CAD |
| Prix | 2 872 023 $ CAD |
| Prix par AC | 399 169,29 $ CAD |
| Taille du lot | 7,20 AC |
Parcelle industrielle vacante, niveau topo
1 1
Impôts fonciers
| Numéro de lot | 066-0010-033 | Évaluation des bâtiments | 0 $ CAD |
| Évaluation du terrain | 764 499 $ CAD | Évaluation totale | 764 499 $ CAD |
Impôts fonciers
Numéro de lot
066-0010-033
Évaluation du terrain
764 499 $ CAD
Évaluation des bâtiments
0 $ CAD
Évaluation totale
764 499 $ CAD
1 de 3
Vidéos
Visite extérieure 3D Matterport
Visite 3D Matterport
Photos
Vue depuis la rue
Rue
Carte
1 de 1
Présenté par
9540 Elder Creek Rd - Site For Single Tenant Industrial Building
Vous êtes déjà membre? Connectez-vous
Hmm, il semble y avoir eu une erreur lors de l’envoi de votre message. Veuillez réessayer.
Merci! Votre message a été envoyé.
Votre message a été envoyé !
Activez votre compte LoopNet dès maintenant pour suivre les propriétés, recevoir des alertes en temps réel, gagner du temps sur vos demandes futures et bien plus encore.
