Se Connecter/S’inscrire
Votre courriel a été envoyé.
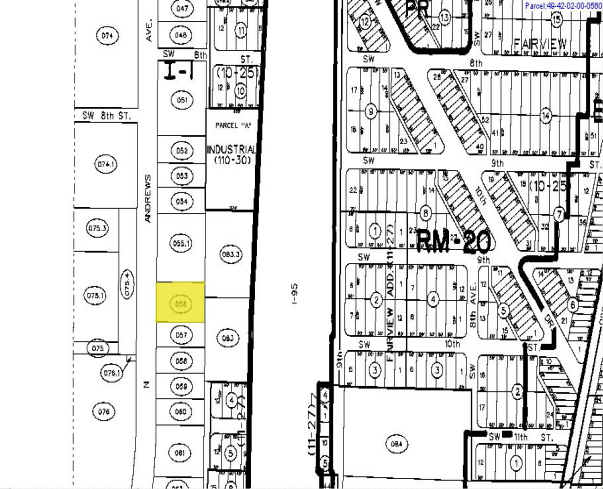
956 S Andrews Ave
Pompano Beach, FL 33069
Pompadour Products, Inc. · Industriel Propriété À vendre


Certaines informations ont été traduites automatiquement.
Faits sur la propriété
| Type de vente | Investissement | Aire du bâtiment louable | 13 286 pi² |
| Type de propriété | Industriel | Nombre d’étages | 1 |
| Sous-type de propriété | Manufacture | Année de construction/rénovation | 1969/1970 |
| Classe d’immeuble | C | Ratio de stationnement | 1,05/1 000 pi² |
| Taille du lot | 0,85 AC | Effacer hauteur du plafond | 16’ |
| Zonage | I-1 - INDUSTRIE LÉGÈRE | ||
| Type de vente | Investissement |
| Type de propriété | Industriel |
| Sous-type de propriété | Manufacture |
| Classe d’immeuble | C |
| Taille du lot | 0,85 AC |
| Aire du bâtiment louable | 13 286 pi² |
| Nombre d’étages | 1 |
| Année de construction/rénovation | 1969/1970 |
| Ratio de stationnement | 1,05/1 000 pi² |
| Effacer hauteur du plafond | 16’ |
| Zonage | I-1 - INDUSTRIE LÉGÈRE |
Impôts fonciers
| Numéro de lot | 49-42-02-00-0560 | Évaluation des bâtiments | 2 901 498 $ CAD |
| Évaluation du terrain | 406 678 $ CAD | Évaluation totale | 3 308 175 $ CAD |
Impôts fonciers
Numéro de lot
49-42-02-00-0560
Évaluation du terrain
406 678 $ CAD
Évaluation des bâtiments
2 901 498 $ CAD
Évaluation totale
3 308 175 $ CAD
1 de 13
Vidéos
Visite extérieure 3D Matterport
Visite 3D Matterport
Photos
Vue depuis la rue
Rue
Carte
