Votre courriel a été envoyé.
96 Cypress Rd Lots • Terrain commercial • 9,25-23,07 Acre • Ocala, FL 34472



Certaines informations ont été traduites automatiquement.
Faits saillants de l'investissement
- Plans approuvés pour le développement multifamilial ou résidentiel
Résumé de l'annonce
Faits sur la propriété
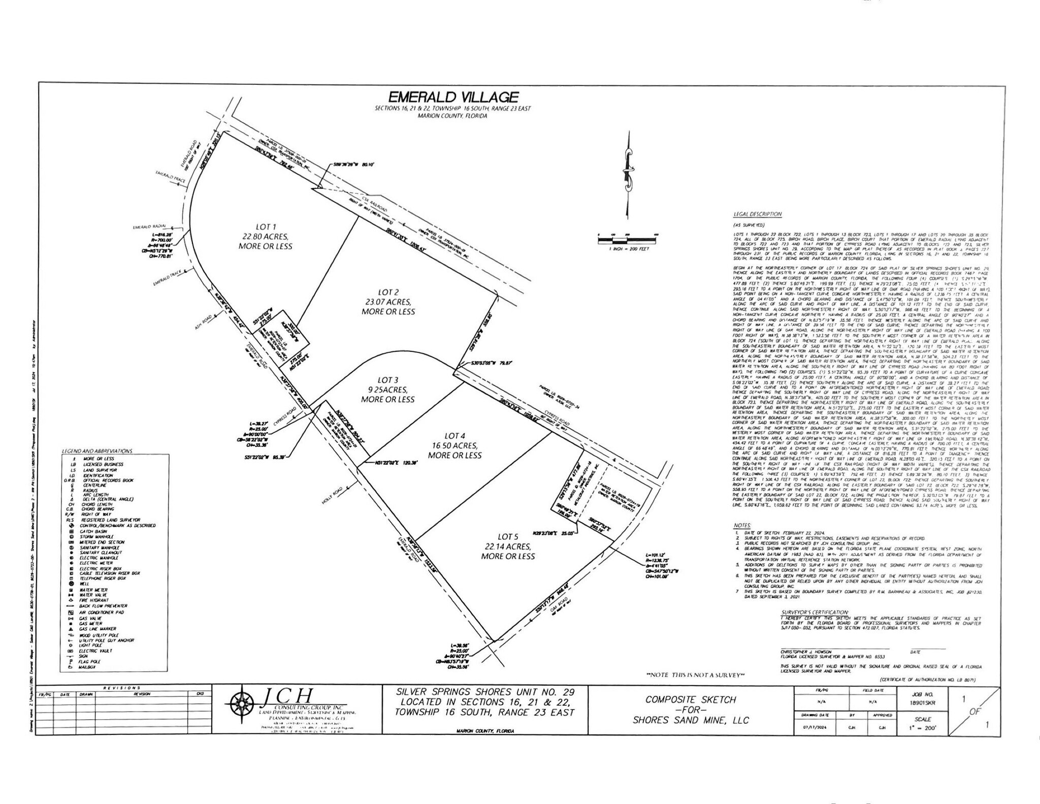
5 Lots disponibles
Lot 1
| Taille du lot | 22,80 AC |
| Taille du lot | 22,80 AC |
$3,420,000. 22.8 ACRES WITH POTENTIAL OF 290 UNITS
Lot 2
| Taille du lot | 23,07 AC |
| Taille du lot | 23,07 AC |
$3,460,500. 23.07 ACRES WITH POTENTAIL OF 292 UNITS
Lot 3
| Taille du lot | 9,25 AC |
| Taille du lot | 9,25 AC |
$1,387,500 IS 9.25 ACRES WITH POTENTIAL OF 120 UNITS
Lot 4
| Taille du lot | 16,50 AC |
| Taille du lot | 16,50 AC |
$2,745,000 IS 16.50 ACRES WITH POTENTIAL OF 210 UNITS
Lot 5
| Taille du lot | 22,14 AC |
| Taille du lot | 22,14 AC |
$3,321,000 IS 22.14 ACRES WITH POTENTIAL OF 280 UNITS
Description
**VENDEUR MOTIVÉ** Le projet Emerald Village est un projet de PUD approuvé à 100 % dans le comté de Marion, en pleine croissance, en Floride. Le projet proposé comprend près de 100 acres avec approbation pour plus de 1 200 unités, plus de 3 acres d'espace commercial et plus de 6 acres d'ALF/ILF ou d'unités résidentielles supplémentaires. Peut être subdivisé ou vendu en colis de tailles différentes, au besoin. Nombre total d'unités résidentielles demandées et approuvées 1 200 avec un maximum de 1 351 en leu d'une ALF, avec 1 808 places de stationnement requises. L'approbation reflète également la capacité d'aller à la verticale jusqu'à un maximum de 50 pieds ou 4 étages. Le bien en cause se trouve à l'intérieur d'une zone inondable désignée « X ». La région environnante est soutenue par des écoles élémentaires, intermédiaires et secondaires. Il existe de nombreuses sociétés industrielles légères ainsi que des sociétés manufacturières reconnues à proximité. Ocala est classée par U.S. News comme le 6e endroit à la croissance la plus rapide, le 10e endroit le plus sûr où vivre, le 16e meilleur endroit pour prendre sa retraite et le 91e meilleur endroit où vivre sur les 150 principales régions métropolitaines. Au sud se trouve également la communauté de retraités qui connaît la croissance la plus rapide, The Villages, avec une main-d'œuvre qui ne croît jamais et ne cesse de croître. Au nord-ouest se trouve la « Capitale mondiale du cheval » et le World Equestrian Center. Le comté élabore également un plan stratégique pour intégrer tous les modèles de circulation futurs afin de permettre une circulation efficace du trafic supplémentaire pour le développement futur. La superficie peut être subdivisée si les intérêts sont dans l'établissement commercial ou l'établissement d'aide à la vie autonome.
Impôts fonciers
| Numéro de lot | 9029-0723-00 | Évaluation des bâtiments | 0 $ CAD |
| Évaluation du terrain | 1 122 720 $ CAD | Évaluation totale | 1 122 720 $ CAD |
Impôts fonciers
Présenté par
96 Cypress Rd
Hmm, il semble y avoir eu une erreur lors de l’envoi de votre message. Veuillez réessayer.
Merci! Votre message a été envoyé.
