Votre courriel a été envoyé.
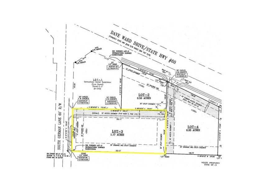
970 Dave Ward Dr - Germantown Corner - Lot 3 Lot • Terrain commercial • 1,17 Acres • 535 267 $ CAD • Conway, AR 72034



Certaines informations ont été traduites automatiquement.
Faits saillants de l'investissement
- Emplacement central sur la promenade Dave Ward
- Intersection protégée contre la lumière
- Facilement accessible depuis South German Lane et Dave Ward Drive
- Adjacent à Taco Bueno, Krispy Kreme et Hardees
Résumé de l'annonce
Faits sur la propriété
| Prix | 535 267 $ CAD | Sous-type de propriété | Terrain commercial |
| Type de vente | Investissement | Utilisation proposée | |
| Nombre de lots | 1 | Taille totale du lot | 1,17 AC |
| Type de propriété | Terrain | ||
| Zonage | C-3 - C-3 | ||
| Prix | 535 267 $ CAD |
| Type de vente | Investissement |
| Nombre de lots | 1 |
| Type de propriété | Terrain |
| Sous-type de propriété | Terrain commercial |
| Utilisation proposée | |
| Taille totale du lot | 1,17 AC |
| Zonage | C-3 - C-3 |
1 Lot disponible
Lot 3
| Prix | 535 267 $ CAD | Taille du lot | 1,17 AC |
| Prix par AC | 457 493,34 $ CAD |
| Prix | 535 267 $ CAD |
| Prix par AC | 457 493,34 $ CAD |
| Taille du lot | 1,17 AC |
Zone résidentielle et commerciale en pleine croissance. Idéal pour les commerces de détail, les restaurants ou les bureaux.
Description
Ce 1.17 est facilement accessible depuis la promenade Dave Ward par une intersection à signalisation dans un développement très visible qui comprend Taco Bueno, Krispy Kreme et Hardees. Le lot peut être fractionné. Emplacement central sur la promenade Dave Ward. Facilement accessible depuis South German Lane et Dave Ward Drive. Intersection protégée contre la lumière. Adjacent à Taco Bueno, Krispy Kreme et Hardees.
Impôts fonciers
| Numéro de lot | 710-08533-103 | Évaluation des bâtiments | 0 $ CAD |
| Évaluation du terrain | 69 726 $ CAD | Évaluation totale | 69 726 $ CAD |
Impôts fonciers
Présenté par
970 Dave Ward Dr - Germantown Corner - Lot 3
Hmm, il semble y avoir eu une erreur lors de l’envoi de votre message. Veuillez réessayer.
Merci! Votre message a été envoyé.

