Votre courriel a été envoyé.
975 Terra Bella Ave - M-M Zoned Acerage Lot • Terrain commercial • 0,86 Acres • 11 825 540 $ CAD • Mountain View, CA 94043


Certaines informations ont été traduites automatiquement.
FAITS SAILLANTS DE L'INVESTISSEMENT
- Occasion rare de louer ou d'acheter une propriété industrielle à Mountain View.
- Accès pratique aux autoroutes 101 et 85.
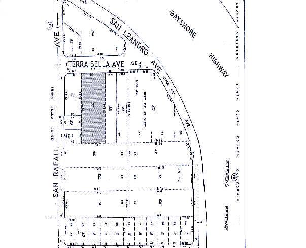
- Situé à l'angle de l'avenue Terra Bella et de l'avenue San Rafael.
- Possibilité d'ajouter des propriétés adjacentes.
RÉSUMÉ DE L'ANNONCE
Les principaux employeurs de la région comprennent Google, LinkedIn, Samsung, Microsoft, Symantec, Synopsis et Lockheed Martin. Google est l'un des plus importants employeurs de la Silicon Valley et son siège social est situé juste au nord de la route 101 des États-Unis. Les quartiers avoisinants du site ont fait l'objet d'un important réaménagement au cours des dernières années. Il y a plusieurs nouveaux développements résidentiels, totalisant plus de 300 résidences, soit en phase de planification, soit actuellement en construction. De plus, il y a près de 2,9 millions de pieds carrés de nouveaux locaux commerciaux à diverses étapes de planification et de construction dans la région de North Bayshore.
Rare occasion d'acheter une propriété industrielle à Mountain View, à l'angle de l'avenue Terra Bella et de l'avenue San Rafael, zone de planification : Moffett/Whisman, accès pratique aux autoroutes 101 et 85
Superficie totale du terrain : ±0,86 acres, numéro d'APN : 153-18-030, Zonage actuel : MM (General Industrial), Possibilité d'ajouter des propriétés adjacentes
FAITS SUR LA PROPRIÉTÉ
| Prix | 11 825 540 $ CAD | Sous-type de propriété | Terrain commercial |
| Type de vente | Investissement | Utilisation proposée | En attente d’investissement |
| Nombre de lots | 1 | Taille totale du lot | 0,86 AC |
| Type de propriété | Terrain | ||
| Zonage | M-M, Mountain View - Industrielle générale | ||
| Prix | 11 825 540 $ CAD |
| Type de vente | Investissement |
| Nombre de lots | 1 |
| Type de propriété | Terrain |
| Sous-type de propriété | Terrain commercial |
| Utilisation proposée | En attente d’investissement |
| Taille totale du lot | 0,86 AC |
| Zonage | M-M, Mountain View - Industrielle générale |
1 LOT DISPONIBLE
Lot
| Prix | 11 825 540 $ CAD | Taille du lot | 0,86 AC |
| Prix par AC | 13 782 680,66 $ CAD |
| Prix | 11 825 540 $ CAD |
| Prix par AC | 13 782 680,66 $ CAD |
| Taille du lot | 0,86 AC |
La propriété est située à l'angle sud-ouest de l'avenue Terra Bella, près de l'avenue San Rafael. L'accès à la propriété est excellent, avec un échangeur routier situé à moins d'un demi-mille au nord de l'immeuble situé sur le boulevard Shoreline et l'US Highway 101. annonce
DESCRIPTION
La propriété est située à l'angle sud-ouest de l'avenue Terra Bella, près de l'avenue San Rafael. L'accès à la propriété est excellent, avec un échangeur routier situé à moins d'un demi-mille au nord de l'immeuble situé sur le boulevard Shoreline et l'US Highway 101. De plus, il y a un échangeur vers la route 85 sur le boulevard Moffett, à environ un demi-mille au sud de la propriété. Le boulevard Shoreline, le chemin Middlefield, la Central Expressway et le boulevard Moffett sont les principales rues de surface qui donnent accès au quartier.
Impôts fonciers
| Numéro de lot | 153-18-030 | Évaluation des bâtiments | 156 693 $ CAD |
| Évaluation du terrain | 3 369 213 $ CAD | Évaluation totale | 3 525 906 $ CAD |
Impôts fonciers
Présenté par
975 Terra Bella Ave - M-M Zoned Acerage
Hmm, il semble y avoir eu une erreur lors de l’envoi de votre message. Veuillez réessayer.
Merci! Votre message a été envoyé.
