Se Connecter/S’inscrire
Votre courriel a été envoyé.
9779 Clovis Rd Lot • Terrain commercial • 2,83 Acres • 297 126 $ CAD • Phelan, CA 92371


Certaines informations ont été traduites automatiquement.
FAITS SAILLANTS DE L'INVESTISSEMENT
- Located near Serrano High School, existing restaurants and retail centers
- Zoning: Phelan/Pinon Hills/General Commercial
- In The Heart Of Downtown Phelan
- Two Contiguous Parcels totaling ±2.83 Acres
RÉSUMÉ DE L'ANNONCE
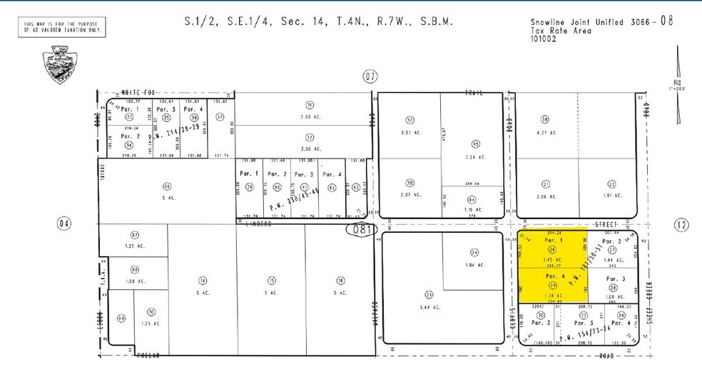
This offering includes two contiguous parcels—APN 3066-081-26 (±1.45 acres) and APN 3066-081-29 (±1.38 acres)—totaling approximately 2.83 acres. Zoned for General Commercial within the Phelan/Pinon Hills area, the property is centrally located in the heart of downtown Phelan. It presents an excellent opportunity in a growing community, positioned near Serrano High School as well as existing restaurants and retail centers. Phelan is an unincorporated community in the Victor Valley region of the Mojave Desert, within San Bernardino County, California. As of 2024, the population of Phelan is approximately 14,279, with a median household income of $87,766. The community is situated about 16 miles from Hesperia, 20 miles from Victorville, 41 miles from Palmdale, and 50 miles from Lancaster
FAITS SUR LA PROPRIÉTÉ
| Prix | 297 126 $ CAD | Sous-type de propriété | Terrain commercial |
| Type de vente | Investissement | Utilisation proposée | Commercial |
| Nombre de lots | 1 | Taille totale du lot | 2,83 AC |
| Type de propriété | Terrain | ||
| Zonage | GC - Commercial Général | ||
| Prix | 297 126 $ CAD |
| Type de vente | Investissement |
| Nombre de lots | 1 |
| Type de propriété | Terrain |
| Sous-type de propriété | Terrain commercial |
| Utilisation proposée | Commercial |
| Taille totale du lot | 2,83 AC |
| Zonage | GC - Commercial Général |
1 LOT DISPONIBLE
Lot
| Prix | 297 126 $ CAD | Taille du lot | 2,83 AC |
| Prix par AC | 104 991,42 $ CAD |
| Prix | 297 126 $ CAD |
| Prix par AC | 104 991,42 $ CAD |
| Taille du lot | 2,83 AC |
Two Contiguous Parcels totaling ±2.83 Acres
1 1
Impôts fonciers
| Numéros de lot | Évaluation des bâtiments | 0 $ CAD | |
| Évaluation du terrain | 237 262 $ CAD | Évaluation totale | 237 262 $ CAD |
Impôts fonciers
Numéros de lot
Évaluation du terrain
237 262 $ CAD
Évaluation des bâtiments
0 $ CAD
Évaluation totale
237 262 $ CAD
1 de 3
VIDÉOS
VISITE EXTÉRIEURE 3D MATTERPORT
VISITE 3D MATTERPORT
PHOTOS
VUE DEPUIS LA RUE
RUE
CARTE
1 de 1
Présenté par
9779 Clovis Rd
Vous êtes déjà membre? Connectez-vous
Hmm, il semble y avoir eu une erreur lors de l’envoi de votre message. Veuillez réessayer.
Merci! Votre message a été envoyé.
