Partager cette annonce

Message

917 caractères restants

Hmm, il semble y avoir eu une erreur lors de l’envoi de votre message. Veuillez réessayer.

Votre courriel a été envoyé.

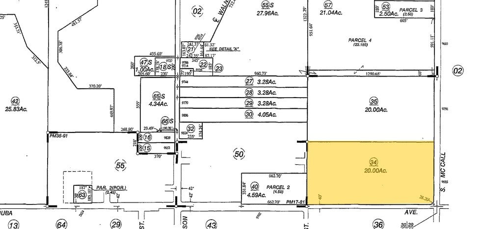
9885 S McCall Ave
Selma, CA 93662
20.00± Acres of Residential Land · Terrain À vendre · 20,00 AC

Certaines informations ont été traduites automatiquement.

Faits saillants de l'investissement

  • Shovel-ready ±20-acre parcel with complete building plans.
  • Adjacent to Selma Plaza Shopping Center and near major retail corridors.
  • Strong growth area with new schools and residential projects nearby.

Résumé de l'annonce

This prime ±20-acre residential parcel offers a shovel-ready development opportunity in the growing city of Selma, California. Strategically located at McCall Avenue and Dinuba Avenue, the site is fully entitled with complete building plans and recorded maps, making it ideal for immediate construction. The property is level and equipped with all utilities at the street, ensuring seamless development. Roads have adequate capacity, and the parcel conforms to city policies while avoiding traffic congestion.

Faits sur la propriété

Type de vente Investissement
Nombre de lots 1
Type de propriété Terrain
Sous-type de propriété Résidentiel
Utilisation proposée Développement familial unique
Taille totale du lot 20,00 AC
Nombre d’étages 1
Zonage R-1: Residential - Residential

1 Lot disponible

Lot

Taille du lot 20,00 AC

Description

Prime residential shovel-ready parcel located off of McCall Ave & Dinuba Ave in Selma, California. Complete building plans total ±20 Acres ( ±871,200 SF). The property is level, and is shovel ready with fully completed plans & maps. All utilities are located at the site on McCall and Dinuba Avenue. This parcel has excellent access, roads have adequate capacity, is within the holding capacity, conforms to policies, avoids traffic congestion, and is shovel ready. The planned complex features 3bed/2.5bath townhomes/duplex's with washer/dryer hookups, private patio & an attached garage. Phase 1 lot size: ±6,944 SF - ±7,593 SF with an average of ±6,993 SF. Phase 1 area: 6.4AC on 40 lots & 12.5 DU/AC. Overall density: 160 DU/ 14.9 AC = 10.7 DU/AC. City of Selma recently started the Amberwood Sanitary Sewer Improvement Project (Res. 2024-41R), providing 2 new lift stations for the sewer for 2,558 residential units and 131,200 SF of commercial, with the new main lines running along Amber Ave; 15” sewer line tees in at Rose Ave, ending at the adjacent new development. Phase 1: 70 Units ; Phase 2: 30 Units ; Phase 3: 30 Units ; Phase 4: 30 Units ; Total: 160 Units Entitlements, Special Studies, & Reports: $100,000 (Paid) Entitlement Status: Submitted/In Progress Location Description This property is located north of E Dinuba Avenue, east of S Thompson Avenue, south of Manning Avenue and west of McCall Avenue in Selma, California. Located directly next to the site is The Selma Plaza Shopping Center which is the only retail shopping center serving northeast Selma residents for approximately 2 miles. Located in the "Raisin Capitol of the World", Selma, California offers an abundance of homes, apartments, churches, schools, shopping centers, & many more! Nearby national tenants include Selma’s General Plan update indicates Dinuba and McCall will become a major signalized intersection and medium density residential expansion is planned to occur along the north side of the shopping center. Selma is at the crossroads of SR99 and SR43, making it a regional hub for southeast Fresno County as well as neighboring Tulare and Kings Counties.

Impôts fonciers

Impôts fonciers

Numéro de lot
358-120-34
Évaluation du terrain
2 470 555 $ CAD
Évaluation des bâtiments
5 701 $ CAD
Évaluation totale
2 476 256 $ CAD
  • ID d’inscription: 38440334

  • Date de mise sur le marché: 2025-11-13

  • Dernière mise à jour:

  • Adresse: 9885 S McCall Ave, Selma, CA 93662

Lien copié
Votre compte LoopNet a été créé !

Veuillez partager vos commentaires

Nous vous invitons à nous faire part de vos commentaires sur la façon dont nous pouvons améliorer LoopNet afin de mieux répondre à vos besoins.
X
{{ getErrorText(feedbackForm.starRating, "Ce notation") }}
255 Limite de caractères ({{ remainingChars() }} caractèrecaractères restantsur)
{{ getErrorText(feedbackForm.msg, "Ce notation") }}
{{ getErrorText(feedbackForm.fname, "Ce prénom") }}
{{ getErrorText(feedbackForm.lname, "Ce nom") }}
{{ getErrorText(feedbackForm.phone, "Ce numéro de téléphone") }}
{{ getErrorText(feedbackForm.phonex, "Cette extension de téléphone") }}
{{ getErrorText(feedbackForm.email, "Cet email") }}