Se Connecter/S’inscrire
Votre courriel a été envoyé.
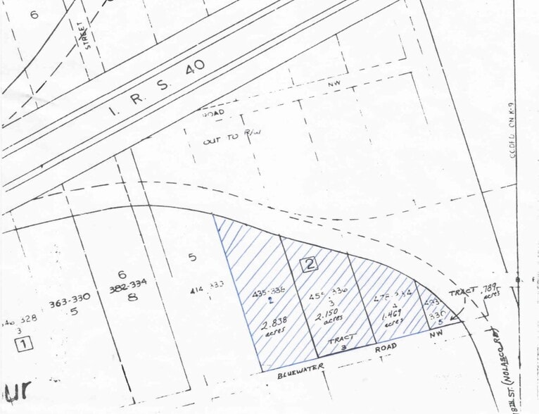
98th & I-40 Lot • Terrain commercial • 6,72 Acres • 1 791 079 $ CAD • Albuquerque, NM 87121



Certaines informations ont été traduites automatiquement.
Faits saillants de l'investissement
- I-40 Visibilité et intersection
- Accès par la 98e à la 102e
- Développement d'un sous-marché industriel
- Situé à l'extérieur des limites de la ville d'ABQ
- Développement d'un corridor de vente au détail
- Nombre de trafic élevé
Résumé de l'annonce
Terrains 98e et I-40 disponibles à la vente. Communiquez avec le courtier pour plus de détails.
Faits sur la propriété
1 Lot disponible
Lot
| Prix | 1 791 079 $ CAD | Taille du lot | 6,72 AC |
| Prix par AC | 266 529,58 $ CAD |
| Prix | 1 791 079 $ CAD |
| Prix par AC | 266 529,58 $ CAD |
| Taille du lot | 6,72 AC |
Terrains 98e et I-40 disponibles à la vente. Communiquez avec le courtier pour plus de détails.
Description
Développement d'un sous-marché industriel.
1 1
Plutôt praticable à pied
20/100
Exceptionnellement facile d’accès en voiture
100/100
Assez praticable en vélo
30/100
Impôts fonciers
| Numéro de lot | 1-009-057-005448-2-07-05 | Évaluation des bâtiments | 45 262 $ CAD |
| Évaluation du terrain | 627 741 $ CAD | Évaluation totale | 673 003 $ CAD |
Impôts fonciers
Numéro de lot
1-009-057-005448-2-07-05
Évaluation du terrain
627 741 $ CAD
Évaluation des bâtiments
45 262 $ CAD
Évaluation totale
673 003 $ CAD
1 de 6
Vidéos
Visite extérieure 3D Matterport
Visite 3D Matterport
Photos
Vue depuis la rue
Rue
Carte
1 de 1
Présenté par
98th & I-40
Vous êtes déjà membre? Connectez-vous
Hmm, il semble y avoir eu une erreur lors de l’envoi de votre message. Veuillez réessayer.
Merci! Votre message a été envoyé.
