Se Connecter/S’inscrire
Votre courriel a été envoyé.
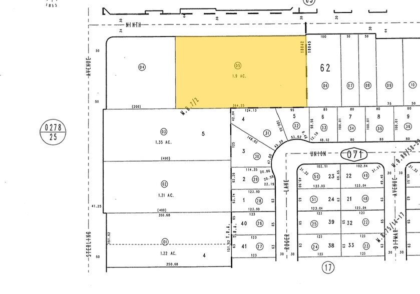
9th St & Sterling Ave
San Bernardino, CA 92410
Terrain À vendre
·
1,62 AC


Certaines informations ont été traduites automatiquement.
Faits saillants de l'investissement
- Excellente façade
- Quelques utilisations de bureau
- Maisons de convalescence
- Diverses utilisations au détail
- Lavage de voitures — Service complet et libre-service
- Services de garde d'enfants
Résumé de l'annonce
NAI Capital est heureuse d'offrir à la vente un terrain commercial de premier choix de 1,62 acre situé à 9th St., Highland, CA 92346.
Faits sur la propriété
1 Lot disponible
Lot
| Prix | 2 413 867 $ CAD | Taille du lot | 1,62 AC |
| Prix par AC | 1 489 673,51 $ CAD |
| Prix | 2 413 867 $ CAD |
| Prix par AC | 1 489 673,51 $ CAD |
| Taille du lot | 1,62 AC |
Situé dans la zone Opportunity Zone. La propriété dispose d'un terrain très accessible, stratégiquement situé à côté du magasin de pneus sur l'avenue Sterling et la façade de la 9e rue Excellent
Description
Terrain commercial Prime de 1,62 Acre (70 583 sf) à vendre à San Bernardino, CA
Impôts fonciers
| Numéro de lot | 1192-071-05 | Évaluation des bâtiments | 0 $ CAD |
| Évaluation du terrain | 545 348 $ CAD | Évaluation totale | 545 348 $ CAD |
Impôts fonciers
Numéro de lot
1192-071-05
Évaluation du terrain
545 348 $ CAD
Évaluation des bâtiments
0 $ CAD
Évaluation totale
545 348 $ CAD
1 de 3
Vidéos
Visite extérieure 3D Matterport
Visite 3D Matterport
Photos
Vue depuis la rue
Rue
Carte
