Se Connecter/S’inscrire
Votre courriel a été envoyé.
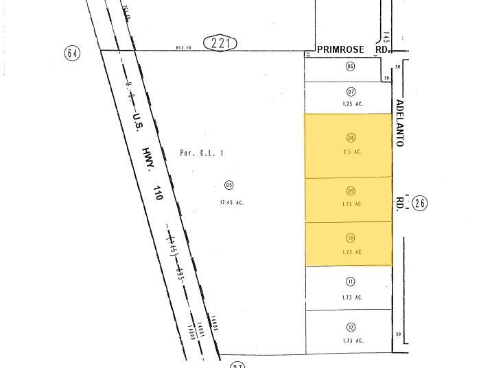
Adelanto Rd - Adelanto Rd 5.94 Acres Lot • Terrain industriel • 5,94 Acres • 813 780 $ CAD • Adelanto, CA 92301


Certaines informations ont été traduites automatiquement.
Faits saillants de l'investissement
- Zonage flexible pour usage commercial et multifamilial
- Eau, électricité, égout jusqu'au site
- Exposition à une route importante avec des taux élevés de TDA
- Emplacement industriel et commercial en croissance
Résumé de l'annonce
±5,96 acres de terrain commercial non amélioré à vendre sur le chemin Adelanto à Adelanto, APN : 3128-221-08, 09, 10. Zonés à usage mixte (UM), ces lots permettent un mélange de développement commercial et multifamilial, permettant 12 à 18 unités d'habitation par acre. L'eau, les égouts et l'électricité sont sur le site avec une façade de 665 pi sur le chemin Adelanto. Exposition fantastique à l'autoroute 395 avec environ 22 000 ADT à proximité immédiate de l'Adelanto Plaza & Event Center. Le Centre d'événements accueille des concerts en plein air, des festivals, des salons de l'automobile et des événements corporatifs tout au long de l'année. Ce site est également à proximité pour soutenir l'expansion de l'aéroport de Southern California Logistics Airport (SCLA). Après avoir connu une expansion majeure de plus de 3MM sf, SCLA abrite des locataires tels qu'Amazon, Boeing, M&M/Mars, Keurig/Dr. Pepper et Newell Rubbermaid. L'acheteur doit vérifier tous les renseignements contenus dans le présent document. L'agent et ses représentants ne sont pas responsables de l'exactitude de ces allégations. Le courtier inscrit détient également une participation majoritaire dans l'entité de propriété du bien. Le courtier inscrit détient également une participation majoritaire dans l'entité de propriété du bien.
Faits sur la propriété
| Prix | 813 780 $ CAD | Sous-type de propriété | Terrain industriel |
| Type de vente | Investissement | Utilisation proposée | En attente de développement |
| Nombre de lots | 1 | Taille totale du lot | 5,94 AC |
| Type de propriété | Terrain | ||
| Zonage | MU - Usage mixte | ||
| Prix | 813 780 $ CAD |
| Type de vente | Investissement |
| Nombre de lots | 1 |
| Type de propriété | Terrain |
| Sous-type de propriété | Terrain industriel |
| Utilisation proposée | En attente de développement |
| Taille totale du lot | 5,94 AC |
| Zonage | MU - Usage mixte |
1 Lot disponible
Lot
| Prix | 813 780 $ CAD | Taille du lot | 5,94 AC |
| Prix par AC | 137 000,00 $ CAD |
| Prix | 813 780 $ CAD |
| Prix par AC | 137 000,00 $ CAD |
| Taille du lot | 5,94 AC |
±5,96 acres de terres commerciales non améliorées
Description
±5,96 acres de terres commerciales non améliorées
1 1
Plutôt praticable à pied
20/100
Exceptionnellement facile d’accès en voiture
90/100
Assez praticable en vélo
30/100
Impôts fonciers
| Numéros de lot | Évaluation des bâtiments | 0 $ CAD | |
| Évaluation du terrain | 706 783 $ CAD | Évaluation totale | 706 783 $ CAD |
Impôts fonciers
Numéros de lot
Évaluation du terrain
706 783 $ CAD
Évaluation des bâtiments
0 $ CAD
Évaluation totale
706 783 $ CAD
1 de 3
Vidéos
Visite extérieure 3D Matterport
Visite 3D Matterport
Photos
Vue depuis la rue
Rue
Carte
1 de 1
Présenté par
Adelanto Rd - Adelanto Rd 5.94 Acres
Vous êtes déjà membre? Connectez-vous
Hmm, il semble y avoir eu une erreur lors de l’envoi de votre message. Veuillez réessayer.
Merci! Votre message a été envoyé.
