Se Connecter/S’inscrire
Votre courriel a été envoyé.
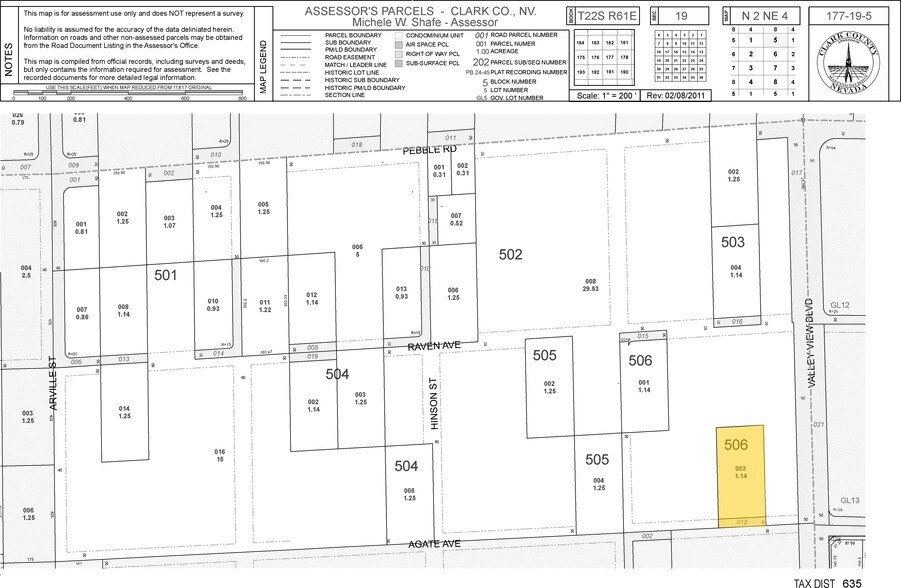
Agate Ave - 1.14 Acres Lot • Terrain commercial • 1,14 Acres • 1 021 335 $ CAD • Las Vegas, NV 89139


Certaines informations ont été traduites automatiquement.
Résumé de l'annonce
Beaucoup d'espace de la part de vos voisins. Zonage des domaines ruraux avec planification d'un plan de conception d'entreprise et de recherche (BDRP).
Faits sur la propriété
| Prix | 1 021 335 $ CAD | Sous-type de propriété | Terrain commercial |
| Type de vente | Investissement | Utilisation proposée | Commercial |
| Nombre de lots | 1 | Taille totale du lot | 1,14 AC |
| Type de propriété | Terrain | ||
| Zonage | BDRP - Parc des affaires et de la conception/de recherche | ||
| Prix | 1 021 335 $ CAD |
| Type de vente | Investissement |
| Nombre de lots | 1 |
| Type de propriété | Terrain |
| Sous-type de propriété | Terrain commercial |
| Utilisation proposée | Commercial |
| Taille totale du lot | 1,14 AC |
| Zonage | BDRP - Parc des affaires et de la conception/de recherche |
1 Lot disponible
Lot
| Prix | 1 021 335 $ CAD | Taille du lot | 1,14 AC |
| Prix par AC | 895 907,93 $ CAD |
| Prix | 1 021 335 $ CAD |
| Prix par AC | 895 907,93 $ CAD |
| Taille du lot | 1,14 AC |
Terrain de 1,14 acre prêt à être aménagé.
1 1
Impôts fonciers
| Numéro de lot | 177-19-506-003 | Évaluation des bâtiments | 0 $ CAD |
| Évaluation du terrain | 159 899 $ CAD | Évaluation totale | 159 899 $ CAD |
Impôts fonciers
Numéro de lot
177-19-506-003
Évaluation du terrain
159 899 $ CAD
Évaluation des bâtiments
0 $ CAD
Évaluation totale
159 899 $ CAD
1 de 3
Vidéos
Visite extérieure 3D Matterport
Visite 3D Matterport
Photos
Vue depuis la rue
Rue
Carte
1 de 1
Présenté par
Agate Ave - 1.14 Acres
Vous êtes déjà membre? Connectez-vous
Hmm, il semble y avoir eu une erreur lors de l’envoi de votre message. Veuillez réessayer.
Merci! Votre message a été envoyé.
Votre message a été envoyé !
Activez votre compte LoopNet dès maintenant pour suivre les propriétés, recevoir des alertes en temps réel, gagner du temps sur vos demandes futures et bien plus encore.
