Se Connecter/S’inscrire
Votre courriel a été envoyé.
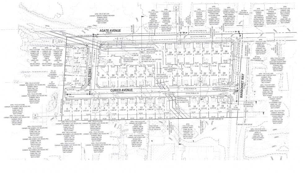
Agate and Warbonnet - 39 Lots - Agate and Warbonnet Lot • Résidentiel • 5 Acres • 7 328 580 $ CAD • Las Vegas, NV 89133



Certaines informations ont été traduites automatiquement.
FAITS SAILLANTS DE L'INVESTISSEMENT
- Fully entitled site plan and approved for 39 lots
- 35x82 sq ft lots
RÉSUMÉ DE L'ANNONCE
-Fully entitled site plan and approved for 39 lots.
-Potential cost sharing with Clark County on flood control facility.
-All utilities are at the property
-Multiple access with paved roads.
-Located in a booming southwest location
-Potential cost sharing with Clark County on flood control facility.
-All utilities are at the property
-Multiple access with paved roads.
-Located in a booming southwest location
FAITS SUR LA PROPRIÉTÉ
1 LOT DISPONIBLE
Lot 39
| Prix | 7 328 580 $ CAD | Taille du lot | 5,00 AC |
| Prix par AC | 1 465 716,04 $ CAD |
| Prix | 7 328 580 $ CAD |
| Prix par AC | 1 465 716,04 $ CAD |
| Taille du lot | 5,00 AC |
-Fully entitled site plan and approved for 39 lots -35x82sq ft lots -Potential cost sharing with Clark County on flood control facility -All utilities are at the property -Multiple access with paved roads -Located in a booming southwest location
DESCRIPTION
Situé dans le quartier en plein essor du sud-ouest de Las Vegas.
Impôts fonciers
| Numéros de lot | Évaluation des bâtiments | 0 $ CAD | |
| Évaluation du terrain | 745 800 $ CAD | Évaluation totale | 745 800 $ CAD |
Impôts fonciers
Numéros de lot
Évaluation du terrain
745 800 $ CAD
Évaluation des bâtiments
0 $ CAD
Évaluation totale
745 800 $ CAD
1 de 4
VIDÉOS
VISITE EXTÉRIEURE 3D MATTERPORT
VISITE 3D MATTERPORT
PHOTOS
VUE DEPUIS LA RUE
RUE
CARTE
Présenté par
Agate and Warbonnet - 39 Lots - Agate and Warbonnet
Vous êtes déjà membre? Connectez-vous
Hmm, il semble y avoir eu une erreur lors de l’envoi de votre message. Veuillez réessayer.
Merci! Votre message a été envoyé.

