Se Connecter/S’inscrire
Votre courriel a été envoyé.
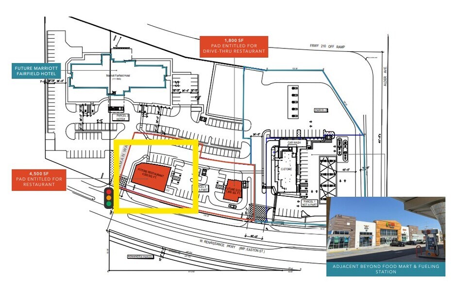
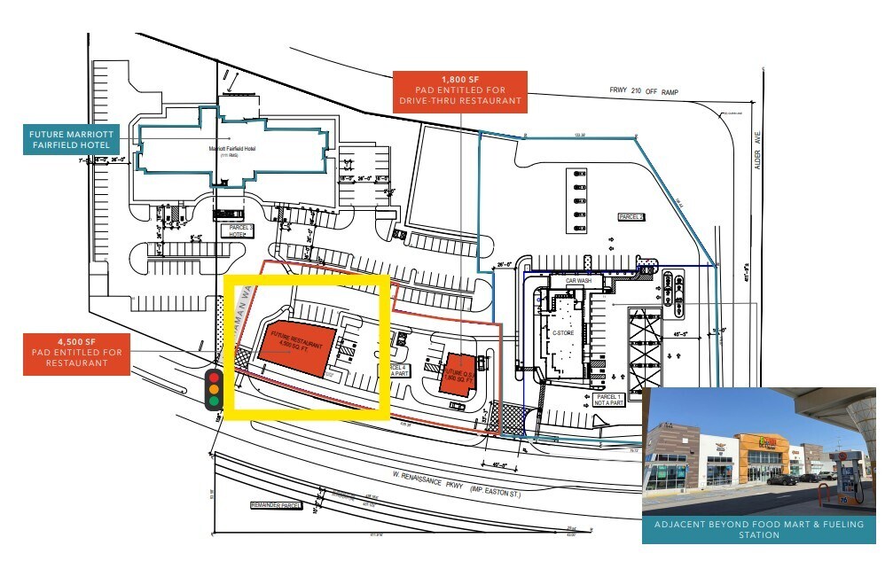
Alder Ave & W Renaissance Pkwy Ave
Rialto, CA 92377
Pad 1 · Terrain À louer


Certaines informations ont été traduites automatiquement.
Faits sur la propriété
| Superficie totale disponible | 0,10 AC | Sous-type de propriété | Terrain commercial |
| Type de propriété | Terrain |
| Superficie totale disponible | 0,10 AC |
| Type de propriété | Terrain |
| Sous-type de propriété | Terrain commercial |
1 de 4
Vidéos
Visite extérieure 3D Matterport
Visite 3D Matterport
Photos
Vue depuis la rue
Rue
Carte
