Se Connecter/S’inscrire
Votre courriel a été envoyé.
Certaines informations ont été traduites automatiquement.
Résumé de l'annonce
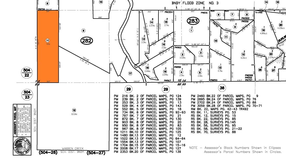
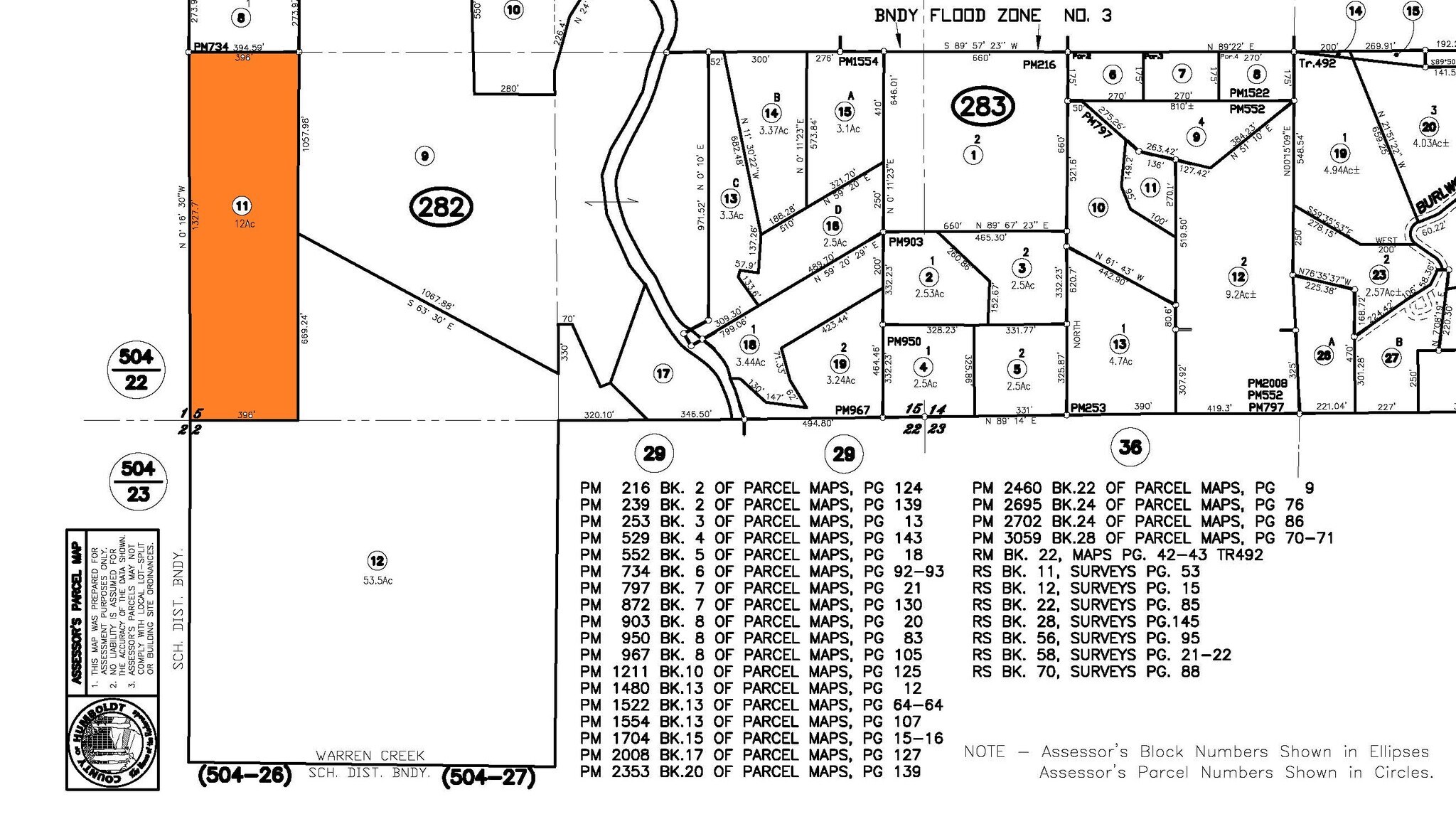
Discover 12 acres of opportunity in the heart of Arcata, CA, zoned for general agriculture and timber uses. Located just minutes from downtown Arcata, the property combines rural tranquility with convenient access to shops, schools, and local amenities. The AG/T zoning allows for a wide range of uses, including orchards, gardens, livestock, and forestry operations. With fertile soil, a mild coastal climate, and potential for utility access, this land presents a rare chance to create your agricultural vision in one of Humboldt County’s most desirable and ecologically rich regions.
Faits sur la propriété
| Prix | 410 372 $ CAD | Type de propriété | Terrain |
| Type de vente | Investissement ou propriétaire utilisateur | Sous-type de propriété | Ferme |
| Nombre de lots | 1 | Taille totale du lot | 12,00 AC |
| Zonage | T/TPZ - Terres forestières | ||
| Prix | 410 372 $ CAD |
| Type de vente | Investissement ou propriétaire utilisateur |
| Nombre de lots | 1 |
| Type de propriété | Terrain |
| Sous-type de propriété | Ferme |
| Taille totale du lot | 12,00 AC |
| Zonage | T/TPZ - Terres forestières |
1 Lot disponible
Lot
| Prix | 410 372 $ CAD | Taille du lot | 12,00 AC |
| Prix par AC | 34 197,63 $ CAD |
| Prix | 410 372 $ CAD |
| Prix par AC | 34 197,63 $ CAD |
| Taille du lot | 12,00 AC |
12 acres of T/TPZ land in Arcata
1 1
Plutôt practicable à pied
20/100
Exceptionnellement facile d'accès en voiture
90/100
Assez praticable en vélo
20/100
Impôts fonciers
| Numéro de lot | 516-282-011-000 | Évaluation des bâtiments | 0 $ CAD |
| Évaluation du terrain | 2 882 $ CAD | Évaluation totale | 2 882 $ CAD |
Impôts fonciers
Numéro de lot
516-282-011-000
Évaluation du terrain
2 882 $ CAD
Évaluation des bâtiments
0 $ CAD
Évaluation totale
2 882 $ CAD
1 de 2
Vidéos
Visite extérieure 3D Matterport
Visite 3D Matterport
Photos
Vue depuis la rue
Rue
Carte
1 de 1
Présenté par
Aldergrove Rd
Vous êtes déjà membre? Connectez-vous
Hmm, il semble y avoir eu une erreur lors de l’envoi de votre message. Veuillez réessayer.
Merci! Votre message a été envoyé.

