Se Connecter/S’inscrire
Votre courriel a été envoyé.
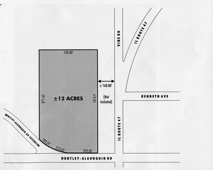
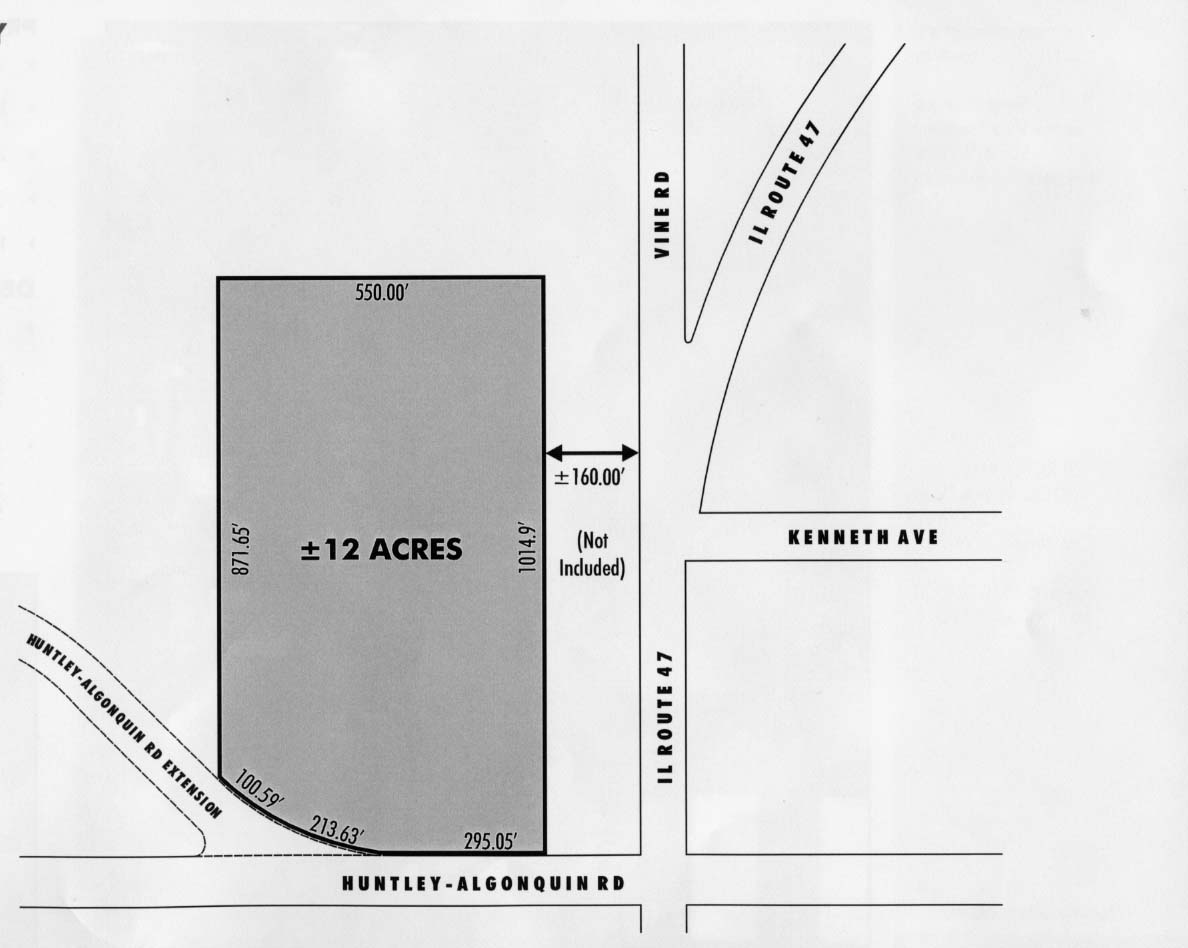
Algonquin Rd
Huntley, IL 60142
NWQ Rte 47 & Algonquin Road · Terrain À vendre
·
12,14 AC


Certaines informations ont été traduites automatiquement.
Faits saillants de l'investissement
- Excellent emplacement de vente au détail avec visibilité de la route 47 de l'IL.
- Les égouts et l'eau sont disponibles.
- La propriété fait face au chemin Huntley-Algonquin.
- Accès facile à l'échangeur complet I-90 par la route 47.
Résumé de l'annonce
±12 acres en bordure du chemin Huntley-Algonquin et du prolongement du chemin Huntley-Algonquin avec égouts et eau disponibles.
Faits sur la propriété Sous contrat
1 Lot disponible
Lot 12 acres
| Prix | 2 855 431 $ CAD | Taille du lot | 12,00 AC |
| Prix par AC | 237 952,59 $ CAD |
| Prix | 2 855 431 $ CAD |
| Prix par AC | 237 952,59 $ CAD |
| Taille du lot | 12,00 AC |
Impôts fonciers
| Numéro de lot | 18-28-151-003 | Évaluation des bâtiments | 48 160 $ CAD |
| Évaluation du terrain | 23 548 $ CAD | Évaluation totale | 71 708 $ CAD |
Impôts fonciers
Numéro de lot
18-28-151-003
Évaluation du terrain
23 548 $ CAD
Évaluation des bâtiments
48 160 $ CAD
Évaluation totale
71 708 $ CAD
1 de 3
Vidéos
Visite extérieure 3D Matterport
Visite 3D Matterport
Photos
Vue depuis la rue
Rue
Carte
