Se Connecter/S’inscrire
Votre courriel a été envoyé.
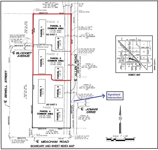
Allen Rd & Meacham Rd rd Lot • Terrain commercial • 3,45 Acres • 2 670 759 $ CAD • Bakersfield, CA 93314



Certaines informations ont été traduites automatiquement.
Faits saillants de l'investissement
- Tournage à gauche pratique, intersection signalée
- Près de l'intersection à fort trafic de l'autoroute Rosedale et du chemin Allen
- Juste à côté de Santa Fe Way, artère reliant Bakersfield au parc Wonderful Logistiques/ ShAfter city/ Wasco
- Accès facile à l'autoroute 58, CA 43, CA 99, I-5
Résumé de l'annonce
Terrain commercial d'environ 3,45 acres disponible à la location ou à la vente près du chemin Allen et du chemin Meacham à Northwest Bakersfield.
Modalités du bail : 4 immeubles disponibles sur le lot (à construire), Développement progressif des phases 2 et 3 du parc d'affaires Future Westside, maintenant disponible à la phase 2 — Le bâtiment A mesure 7 521 pi2 et le bâtiment B est de 15 111 pieds carrés.
Conditions de vente : Le terrain de 3,45 acres est disponible à la vente avec les services publics collés sur le site. Excellent potentiel d'investissement et de développement.
Le site est zoné comme étant commercial (CO). Tournez à gauche commode, intersection signalée. Lot se trouve juste à côté de Santa Fe Way, l'artère reliant Bakersfield au parc Wonderful Logistics, à ShAfter city/Wasco. Situé près de l'intersection à fort trafic de l'autoroute Rosedale et du chemin Allen, avec un accès facile aux principales autoroutes et à l'aéroport. Zone mixte composée de bureaux professionnels, de détaillants, d'industries légères et résidentielles.
Modalités du bail : 4 immeubles disponibles sur le lot (à construire), Développement progressif des phases 2 et 3 du parc d'affaires Future Westside, maintenant disponible à la phase 2 — Le bâtiment A mesure 7 521 pi2 et le bâtiment B est de 15 111 pieds carrés.
Conditions de vente : Le terrain de 3,45 acres est disponible à la vente avec les services publics collés sur le site. Excellent potentiel d'investissement et de développement.
Le site est zoné comme étant commercial (CO). Tournez à gauche commode, intersection signalée. Lot se trouve juste à côté de Santa Fe Way, l'artère reliant Bakersfield au parc Wonderful Logistics, à ShAfter city/Wasco. Situé près de l'intersection à fort trafic de l'autoroute Rosedale et du chemin Allen, avec un accès facile aux principales autoroutes et à l'aéroport. Zone mixte composée de bureaux professionnels, de détaillants, d'industries légères et résidentielles.
Faits sur la propriété
| Prix | 2 670 759 $ CAD | Sous-type de propriété | Terrain commercial |
| Type de vente | Investissement | Utilisation proposée | Commercial |
| Nombre de lots | 1 | Taille totale du lot | 3,45 AC |
| Type de propriété | Terrain | Nombre d’étages | 1 |
| Zonage | CO - Commercial | ||
| Prix | 2 670 759 $ CAD |
| Type de vente | Investissement |
| Nombre de lots | 1 |
| Type de propriété | Terrain |
| Sous-type de propriété | Terrain commercial |
| Utilisation proposée | Commercial |
| Taille totale du lot | 3,45 AC |
| Nombre d’étages | 1 |
| Zonage | CO - Commercial |
1 Lot disponible
Lot
| Prix | 2 670 759 $ CAD | Taille du lot | 3,45 AC |
| Prix par AC | 774 133,02 $ CAD |
| Prix | 2 670 759 $ CAD |
| Prix par AC | 774 133,02 $ CAD |
| Taille du lot | 3,45 AC |
Terrain commercial d'environ 3,45 acres disponible à la location ou à la vente près du chemin Allen et du chemin Meacham à Northwest Bakersfield. Services publics attachés au site.Le site est zoné commercial (CO). Tournage à gauche pratique, intersection signalée.
1 1
Impôts fonciers
| Numéro de lot | 464-022-76-00-3 | Évaluation des bâtiments | 0 $ CAD |
| Évaluation du terrain | 1 743 218 $ CAD | Évaluation totale | 1 743 218 $ CAD |
Impôts fonciers
Numéro de lot
464-022-76-00-3
Évaluation du terrain
1 743 218 $ CAD
Évaluation des bâtiments
0 $ CAD
Évaluation totale
1 743 218 $ CAD
1 de 5
Vidéos
Visite extérieure 3D Matterport
Visite 3D Matterport
Photos
Vue depuis la rue
Rue
Carte
1 de 1
Présenté par
Allen Rd & Meacham Rd rd
Vous êtes déjà membre? Connectez-vous
Hmm, il semble y avoir eu une erreur lors de l’envoi de votre message. Veuillez réessayer.
Merci! Votre message a été envoyé.
Votre message a été envoyé !
Activez votre compte LoopNet dès maintenant pour suivre les propriétés, recevoir des alertes en temps réel, gagner du temps sur vos demandes futures et bien plus encore.
