Se Connecter/S’inscrire
Votre courriel a été envoyé.
Certaines informations ont été traduites automatiquement.
Faits saillants de l'investissement
- Possibilités de développement
- Grands investissements ou pour la croissance des entreprises
- Connexions aux services publics
Résumé de l'annonce
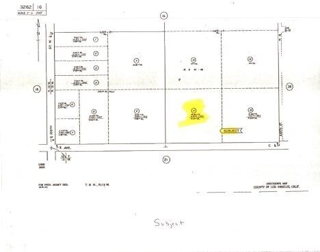
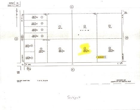
La parcelle de 10+/- Acs., est « À VENDRE » ou « À BAIL » et est non obstruée, plate, organique et fronts Ave. C & 97 St. Ouest à Lancaster, CA 93536. [APN 3262-016-011]. L'accès à l'électricité et à l'eau est disponible pour la propriété. [Propriétaire depuis 1985]. * De plus, il y a 20+/- Acs disponibles. « À VENDRE » ou « À LOUER » en face de l'avenue. J & 77th-80th St. Est. [APN 3384-020-012 = 10+/- Acs. & 3384-020-013 = 10+/- Acs.]. [Propriétaire depuis 1985].
Faits sur la propriété
1 Lot disponible
Lot
| Prix | 240 403 $ CAD | Taille du lot | 10,00 AC |
| Prix par AC | 24 040,27 $ CAD |
| Prix | 240 403 $ CAD |
| Prix par AC | 24 040,27 $ CAD |
| Taille du lot | 10,00 AC |
La parcelle de 10+/- Acs., est « À VENDRE » ou « À BAIL » et est non obstruée, plate, organique et fronts Ave. C & 97 St. Ouest à Lancaster, CA 93536. [APN 3262-016-011]. L'accès à l'électricité et à l'eau est disponible à la propriété. [Propriétaire depuis 1985] . *
Exceptionnellement facile d'accès en voiture
90/100
Assez praticable en vélo
30/100
Impôts fonciers
| Numéro de lot | 3262-016-011 | Évaluation des bâtiments | 0 $ CAD |
| Évaluation du terrain | 61 540 $ CAD | Évaluation totale | 61 540 $ CAD |
Impôts fonciers
Numéro de lot
3262-016-011
Évaluation du terrain
61 540 $ CAD
Évaluation des bâtiments
0 $ CAD
Évaluation totale
61 540 $ CAD
1 de 6
Vidéos
Visite extérieure 3D Matterport
Visite 3D Matterport
Photos
Vue depuis la rue
Rue
Carte
Présenté par
Sheldon Blum
Ave C And 97th St W - Blum Ranch
Vous êtes déjà membre? Connectez-vous
Hmm, il semble y avoir eu une erreur lors de l’envoi de votre message. Veuillez réessayer.
Merci! Votre message a été envoyé.




