Votre courriel a été envoyé.
Ave G-12 near Division St - Residential Land Lot • Terrain industriel • 5 Acres • 269 588 $ CAD • Lancaster, CA 93535


Certaines informations ont été traduites automatiquement.
FAITS SAILLANTS DE L'INVESTISSEMENT
- Heavy Industrial zoning
- Growing Industrial area
- Just minutes from AV Freeway via the Avenue H overpass
RÉSUMÉ DE L'ANNONCE
FAITS SUR LA PROPRIÉTÉ
| Prix | 269 588 $ CAD | Sous-type de propriété | Terrain industriel |
| Type de vente | Investissement | Utilisation proposée | Industriel |
| Nombre de lots | 1 | Taille totale du lot | 5,00 AC |
| Type de propriété | Terrain | ||
| Zonage | HI - Industriel lourd | ||
| Prix | 269 588 $ CAD |
| Type de vente | Investissement |
| Nombre de lots | 1 |
| Type de propriété | Terrain |
| Sous-type de propriété | Terrain industriel |
| Utilisation proposée | Industriel |
| Taille totale du lot | 5,00 AC |
| Zonage | HI - Industriel lourd |
1 LOT DISPONIBLE
Lot
| Prix | 269 588 $ CAD | Taille du lot | 5,00 AC |
| Prix par AC | 53 917,50 $ CAD |
| Prix | 269 588 $ CAD |
| Prix par AC | 53 917,50 $ CAD |
| Taille du lot | 5,00 AC |
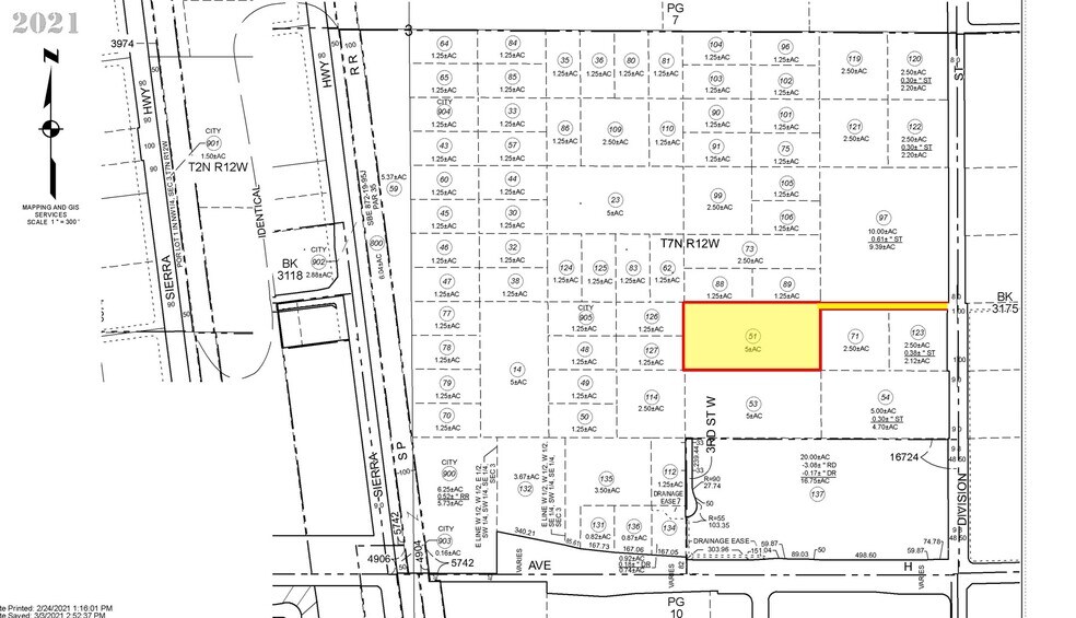
The property is zoned Heavy Industrial and located on the future street of Avenue G-12 near Division St in the city of Lancaster, CA with deeded access along G-12 out to Division St.!
DESCRIPTION
Excellente opportunité d'investissement industriel! Propriété de bon niveau avec un accès notarié à Division St. le long de la future Avenue G-12! Le zonage industriel lourd est le plus polyvalent de la ville de Lancaster, permettant le plus large éventail d'usages industriels! Cette propriété est stratégiquement située à quelques minutes de l'autoroute AV via le passage supérieur de l'Avenue H, dans une zone industrielle en pleine croissance. Les voisins à proximité incluent l'usine de fabrication de bus électriques de 556 000 pieds carrés de BYD, l'une des plus grandes en Amérique du Nord, un vaste concessionnaire d'équipements de construction CAT et une variété d'autres installations.
Impôts fonciers
| Numéro de lot | 3137-008-051 | Évaluation des bâtiments | 0 $ CAD |
| Évaluation du terrain | 93 490 $ CAD | Évaluation totale | 93 490 $ CAD |
Impôts fonciers
Présenté par
Ave G-12 near Division St - Residential Land
Hmm, il semble y avoir eu une erreur lors de l’envoi de votre message. Veuillez réessayer.
Merci! Votre message a été envoyé.

