Se Connecter/S’inscrire
Votre courriel a été envoyé.
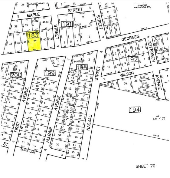
B183 L44 Georges Road Lot • Terrain commercial • 0,34 Acres • 826 009 $ CAD • North Brunswick, NJ 08902


Certaines informations ont été traduites automatiquement.
FAITS SUR LA PROPRIÉTÉ
| Prix | 826 009 $ CAD | Type de propriété | Terrain |
| Type de vente | Investissement ou propriétaire utilisateur | Sous-type de propriété | Terrain commercial |
| Nombre de lots | 1 | Taille totale du lot | 0,34 AC |
| Zonage | C-1 - Commercial de quartier | ||
| Prix | 826 009 $ CAD |
| Type de vente | Investissement ou propriétaire utilisateur |
| Nombre de lots | 1 |
| Type de propriété | Terrain |
| Sous-type de propriété | Terrain commercial |
| Taille totale du lot | 0,34 AC |
| Zonage | C-1 - Commercial de quartier |
1 LOT DISPONIBLE
Lot
| Prix | 826 009 $ CAD | Taille du lot | 0,34 AC |
| Prix par AC | 2 429 438,37 $ CAD |
| Prix | 826 009 $ CAD |
| Prix par AC | 2 429 438,37 $ CAD |
| Taille du lot | 0,34 AC |
Lot macadamisé de 100' X 150'
DESCRIPTION
Lot macadamisé de 100' X 150'. La zone commerciale de quartier C-1 permet un large éventail de commerces de détail et de services, y compris des restaurants, des bureaux professionnels et généraux et des garderies pour adultes. Situé à quelques minutes des routes 1 et 130 et du centre-ville du Nouveau-Brunswick.
1 1
Walk Score®
Très pratique à pied (71)
Impôts fonciers
| Numéro de lot | 14-00183-0000-00044 | Évaluation des bâtiments | 0 $ CAD |
| Évaluation du terrain | 253 980 $ CAD | Évaluation totale | 253 980 $ CAD |
Impôts fonciers
Numéro de lot
14-00183-0000-00044
Évaluation du terrain
253 980 $ CAD
Évaluation des bâtiments
0 $ CAD
Évaluation totale
253 980 $ CAD
1 de 3
VIDÉOS
VISITE EXTÉRIEURE 3D MATTERPORT
VISITE 3D MATTERPORT
PHOTOS
VUE DEPUIS LA RUE
RUE
CARTE
1 de 1
Présenté par
B183 L44 Georges Road
Vous êtes déjà membre? Connectez-vous
Hmm, il semble y avoir eu une erreur lors de l’envoi de votre message. Veuillez réessayer.
Merci! Votre message a été envoyé.
