Se Connecter/S’inscrire
Votre courriel a été envoyé.
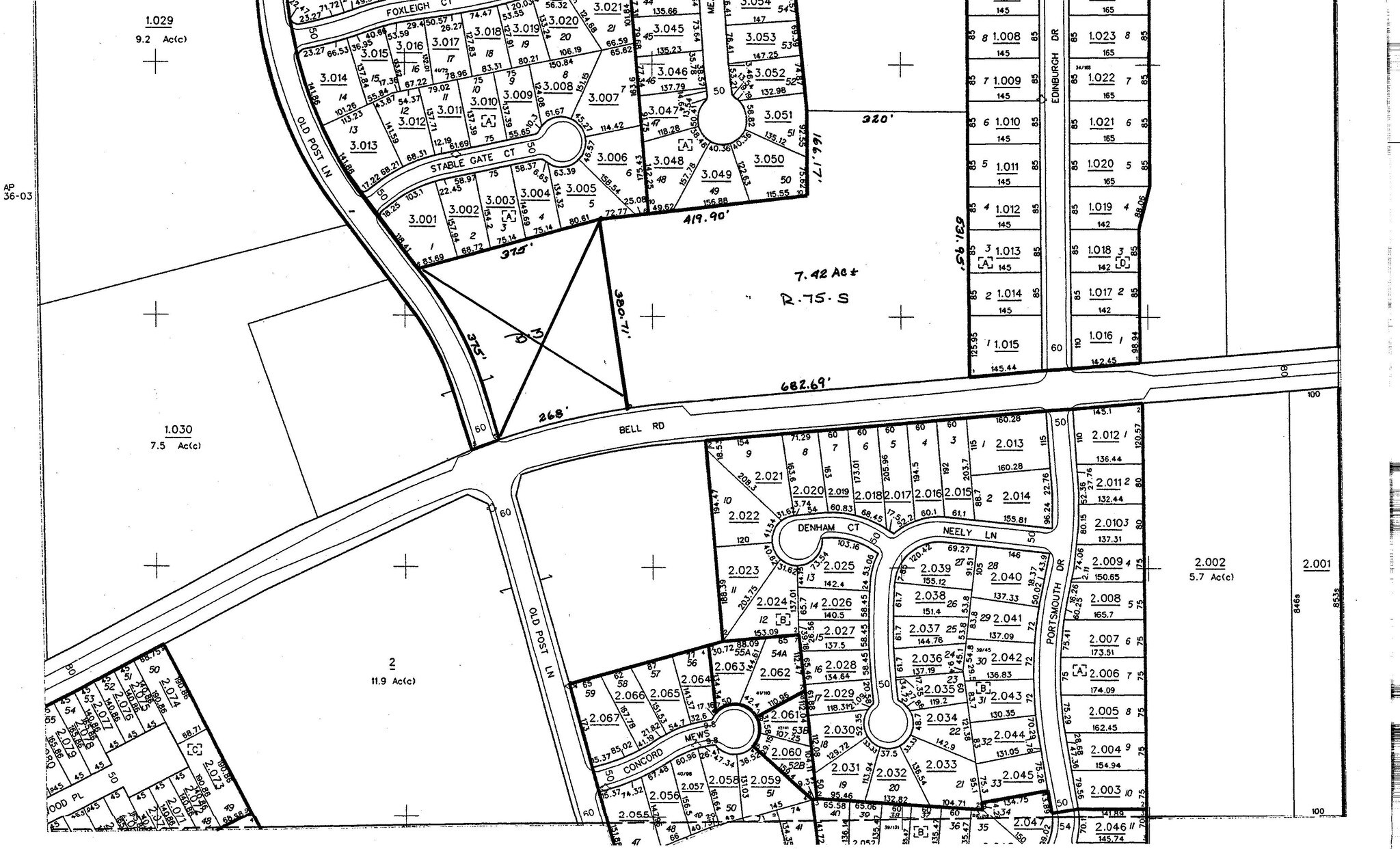
Bell Rd
Montgomery, AL 36116
Bell Road/Russell Oil · Terrain À vendre
·
2,60 AC

Certaines informations ont été traduites automatiquement.
Faits saillants de l'investissement
- 2,6 acres disponibles à Montgomery
Résumé de l'annonce
Old Post Lane se connectera éventuellement au chemin Vaughn. À deux pâtés de maisons de l'école Brewbaker.
Montgomery (Alabama)
Montgomery (Alabama)
Faits sur la propriété
| Type de vente | Investissement ou propriétaire utilisateur | Sous-type de propriété | Terrain commercial |
| Nombre de lots | 1 | Utilisation proposée | Commerce de détail |
| Type de propriété | Terrain | Taille totale du lot | 2,60 AC |
| Zonage | B - 2 | ||
| Type de vente | Investissement ou propriétaire utilisateur |
| Nombre de lots | 1 |
| Type de propriété | Terrain |
| Sous-type de propriété | Terrain commercial |
| Utilisation proposée | Commerce de détail |
| Taille totale du lot | 2,60 AC |
| Zonage | B - 2 |
1 Lot disponible
Lot 1
| Prix | 618 151 $ CAD | Taille du lot | 2,60 AC |
| Prix par AC | 237 750,49 $ CAD |
| Prix | 618 151 $ CAD |
| Prix par AC | 237 750,49 $ CAD |
| Taille du lot | 2,60 AC |
2,6 acres à vendre
Description
Zoné b-2, aucun service public sur place
1 de 2
Vidéos
Visite extérieure 3D Matterport
Visite 3D Matterport
Photos
Vue depuis la rue
Rue
Carte
