Votre courriel a été envoyé.
Belle Dr
Hammond, LA 70403
Terrain À vendre
·
25,12 AC

Certaines informations ont été traduites automatiquement.
Faits saillants de l'investissement
- Les lots voisins commencent à faire l'objet d'une nouvelle construction pour le commerce de détail.
- À proximité d'un centre commercial et d'un centre de santé.
Faits sur la propriété
| Type de vente | Investissement | Sous-type de propriété | Terrain commercial |
| Nombre de lots | 5 | Utilisation proposée | |
| Type de propriété | Terrain | Taille totale du lot | 25,12 AC |
| Zonage | unzoned - non zoné | ||
| Type de vente | Investissement |
| Nombre de lots | 5 |
| Type de propriété | Terrain |
| Sous-type de propriété | Terrain commercial |
| Utilisation proposée | |
| Taille totale du lot | 25,12 AC |
| Zonage | unzoned - non zoné |
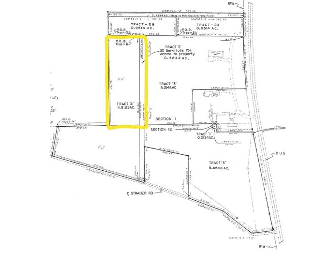
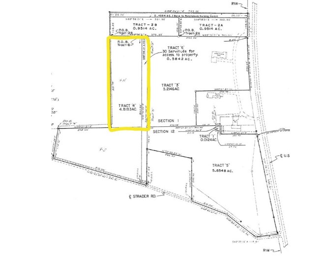
5 Lots disponibles
Lot Tract 6
| Prix | 272 712 $ CAD | Taille du lot | 2,43 AC |
| Prix par AC | 112 226,99 $ CAD |
| Prix | 272 712 $ CAD |
| Prix par AC | 112 226,99 $ CAD |
| Taille du lot | 2,43 AC |
LA PROPRIÉTÉ SE TROUVE DERRIÈRE LE LOT INSCRIT SUR BELLE DRIVE, ELLE PEUT ÊTRE VENDUE AVEC BELLE DRIVE OU UNE PROPRIÉTÉ INSCRITE SUR LES ANCIENS COMBATTANTS. IL Y A DEUX OPTIONS POUR ACHETER CETTE PROPRIÉTÉ, SOIT LE TERRAIN BELLE DRIVE OU LES ANCIENS COMBATTANTS DE 5,21 ACRES OU ACHETER LES 3 PARCELLES
Lot Tract 2B
| Prix | 272 848 $ CAD | Taille du lot | 0,95 AC |
| Prix par AC | 287 208,43 $ CAD |
| Prix | 272 848 $ CAD |
| Prix par AC | 287 208,43 $ CAD |
| Taille du lot | 0,95 AC |
GRAND TERRAIN SUR BELLE DRIVE, JUSTE APRÈS LE NORTH OAKS MEDICAL CENTER. LA PROPRIÉTÉ EST TRÈS BIEN SITUÉE POUR DES BUREAUX POURRAIT ÊTRE AMÉNAGÉE AVEC LE TERRAIN SUPPLÉMENTAIRE QUI JOUIT DE CETTE PROPRIÉTÉ. IL Y A PLUSIEURS PARCELLES QUI SONT ADJACENTES. IMMÉDIATEMENT, IL Y A 2,43 ACRES
Lot Tract 3, 5
| Prix | 2 262 828 $ CAD | Taille du lot | 10,87 AC |
| Prix par AC | 208 171,86 $ CAD |
| Prix | 2 262 828 $ CAD |
| Prix par AC | 208 171,86 $ CAD |
| Taille du lot | 10,87 AC |
2 PARCELLES TOTALISANT 10,87 ACRES AVEC UNE GRANDE FAÇADE LE LONG DE L'AVENUE DES ANCIENS COMBATTANTS ET UNE FAÇADE SUR UNE ROUTE PLUS BOISÉE. SUPERFICIE ADDITIONNELLE CONTIGUË DISPONIBLE - PARCELLE 4 DE 2,14 ACRES À L'ÉTUDE ET 0,95 ACRE (BELLE DRIVE), PARCELLE 2B SUR RELEVÉ
Lot Tract 3
| Prix | 1 084 594 $ CAD | Taille du lot | 5,22 AC |
| Prix par AC | 207 776,63 $ CAD |
| Prix | 1 084 594 $ CAD |
| Prix par AC | 207 776,63 $ CAD |
| Taille du lot | 5,22 AC |
PARCELLE EN FORME DE « L » QUI JOUXTE UNE AUTRE PARCELLE DE 5,66 ACRES LONGEANT LES ANCIENS COMBATTANTS. TERRAIN SUPPLÉMENTAIRE DISPONIBLE, PARCELLE 5 (5,66 ACRES), PARCELLE 2B (0,95 ACRE SUR BELLE DRIVE) ET PARCELLE 4 (2,14 ACRES) ET 2 PARCELLES ATTENANTES AUX PARCELLES 3 ET 5 SUR LES ANCIENS COMBATTANTS
Lot Tract 5
| Prix | 1 174 993 $ CAD | Taille du lot | 5,65 AC |
| Prix par AC | 207 963,30 $ CAD |
| Prix | 1 174 993 $ CAD |
| Prix par AC | 207 963,30 $ CAD |
| Taille du lot | 5,65 AC |
UNE GRANDE FAÇADE LE LONG DE L'AVENUE DES ANCIENS COMBATTANTS ET UNE FAÇADE SUR UNE ROUTE PLUS BOISÉE. SUPERFICIE ADDITIONNELLE CONTIGUË DISPONIBLE - PARCELLE 4 DE 2,14 ACRES (ARPENTAGE) ET 0,95 ACRE (BELLE DRIVE), PARCELLE 2B SUR RELEVÉ
Description
Les lots avoisinants commencent à avoir de nouvelles constructions pour la vente au détail.
