Se Connecter/S’inscrire
Votre courriel a été envoyé.
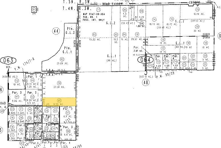
Bellflower Rd
Apple Valley, CA 92308
9.55 Acres · Terrain À vendre
·
9,55 AC


Certaines informations ont été traduites automatiquement.
Faits saillants de l'investissement
- Flat and Buildable Parcel for Subdivision
- Abundant Available Amenities for Future Residents
- Water, Sewer, and Power Available
- Quick Access To Major Thoroughfares
Résumé de l'annonce
±9.55 acres of unimproved residential land for sale at the corner of Bellflower and Navajo in Apple Valley; APN: 0434-063-05. Zoned Single Family Residential (R-SF) this site permits for the development of single family homes with a density of 1 dwelling unit for every 0.4-0.9 net acre. Water, sewer, and power, are available. Just south of Bear Valley Rd, a major thoroughfare for regional access, future residents will have quick access to such amenities as: Stater Bros Markets, Food 4 Less, Target, AutoZone, Sprouts, Tractor Supply, Dollar General, Cinemark Movie Theaters, Dutch Bros Coffee, Wing Stop, Jack in the Box, Tom’s Restaurant, Nick’s Pizza, Chicho’s Mexican Food, and more. Apple Valley is home to the Brightline West Victor Valley Station, a high speed rail project connecting Las Vegas to Southern California. Brightline West recently received a $3 billion federal-state partnership grant and publicly announced the appointment of Siemens Mobility as the manufacture of the trains. Construction is expected to begin soon with the train in operation by late 2028. Buyer to verify all information contained herein. Agent and their representatives are not responsible for the accuracy of these claims.
Faits sur la propriété
| Type de vente | Investissement | Utilisation proposée | Développement familial unique |
| Nombre de lots | 1 | Taille totale du lot | 9,55 AC |
| Type de propriété | Terrain | Rues transversales | Navajo |
| Sous-type de propriété | Résidentiel | ||
| Zonage | R-SF - Residential | ||
| Type de vente | Investissement |
| Nombre de lots | 1 |
| Type de propriété | Terrain |
| Sous-type de propriété | Résidentiel |
| Utilisation proposée | Développement familial unique |
| Taille totale du lot | 9,55 AC |
| Rues transversales | Navajo |
| Zonage | R-SF - Residential |
1 Lot disponible
Lot
| Prix | 499 148 $ CAD | Taille du lot | 9,55 AC |
| Prix par AC | 52 266,85 $ CAD |
| Prix | 499 148 $ CAD |
| Prix par AC | 52 266,85 $ CAD |
| Taille du lot | 9,55 AC |
Impôts fonciers
| Numéro de lot | 0434-063-05 | Évaluation des bâtiments | 0 $ CAD |
| Évaluation du terrain | 241 321 $ CAD | Évaluation totale | 241 321 $ CAD |
Impôts fonciers
Numéro de lot
0434-063-05
Évaluation du terrain
241 321 $ CAD
Évaluation des bâtiments
0 $ CAD
Évaluation totale
241 321 $ CAD
1 de 3
Vidéos
Visite extérieure 3D Matterport
Visite 3D Matterport
Photos
Vue depuis la rue
Rue
Carte
