Votre courriel a été envoyé.
Bellflower Street - La Mesa St Lot • Terrain commercial • 36,97 Acres • 2 351 746 $ CAD • Victorville, CA 92392



Certaines informations ont été traduites automatiquement.
RÉSUMÉ DE L'ANNONCE
au nord et à l'est, à l'intersection du chemin La Mesa et de la promenade Mesa View. L'acheteur doit vérifier tous les zonages et les services publics auprès de la Ville de Victorville. Entouré de communautés actives et de futurs sites de construction de Frontier Communities, Richmond American et KB Home. Snowline Joint Unified School District possède ±50 acres adjacents à la parcelle et prévoit un futur site scolaire. Situé à environ 1,5 milles au sud-ouest de The Crossroads, au 395 centre commercial qui abrite des entreprises comme Walmart, Stater Bros et Starbucks.
FAITS SUR LA PROPRIÉTÉ
| Prix | 2 351 746 $ CAD | Type de propriété | Terrain |
| Type de vente | Investissement | Sous-type de propriété | Terrain commercial |
| Nombre de lots | 1 | Taille totale du lot | 36,97 AC |
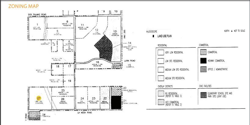
| Zonage | Low Residential - Vacant Land | ||
| Prix | 2 351 746 $ CAD |
| Type de vente | Investissement |
| Nombre de lots | 1 |
| Type de propriété | Terrain |
| Sous-type de propriété | Terrain commercial |
| Taille totale du lot | 36,97 AC |
| Zonage | Low Residential - Vacant Land |
1 LOT DISPONIBLE
Lot
| Prix | 2 351 746 $ CAD | Taille du lot | 36,97 AC |
| Prix par AC | 63 612,28 $ CAD |
| Prix | 2 351 746 $ CAD |
| Prix par AC | 63 612,28 $ CAD |
| Taille du lot | 36,97 AC |
Site de ±36,97 acres à environ ¾ mille à l'ouest de l'autoroute 395 à Victorville. Zoné à très faible valeur résidentielle
DESCRIPTION
Site de ±36,97 acres à environ ¾ mille à l'ouest de la route 395 à Victorville. Zonée à très faible superficie dans le cadre du plan spécifi c de Vista Verde, cette parcelle peut permettre jusqu'à 3,8 unités par acre. Les lignes d'eau longent les frontières est et sud de la rue Bellflower et du chemin La Mesa. Les égouts se trouvent à proximité, avec des lignes dans le chemin Luna et le chemin Fremontia au nord et à l'est à l'intersection du chemin La Mesa et de la promenade Mesa View. L'acheteur vérifiera tous les zonages et les services publics auprès de la Ville de Victorville. Entouré de collectivités actives et de sites de construction futurs de Frontier Communities, Richmond American et KB Home. Snowline Joint Unifi ed School District possède ±50 acres adjacentes à la parcelle et prévoit un futur site scolaire. Situé à environ 1,5 milles au sud-ouest du centre commercial The Crossroads au 395 qui abrite des entreprises comme Walmart, Stater Bros et Starbucks
Impôts fonciers
| Numéro de lot | 3096-351-01 | Évaluation des bâtiments | 0 $ CAD |
| Évaluation du terrain | 859 033 $ CAD | Évaluation totale | 859 033 $ CAD |
Impôts fonciers
Présenté par
Bellflower Street - La Mesa St
Hmm, il semble y avoir eu une erreur lors de l’envoi de votre message. Veuillez réessayer.
Merci! Votre message a été envoyé.
