Se Connecter/S’inscrire
Votre courriel a été envoyé.
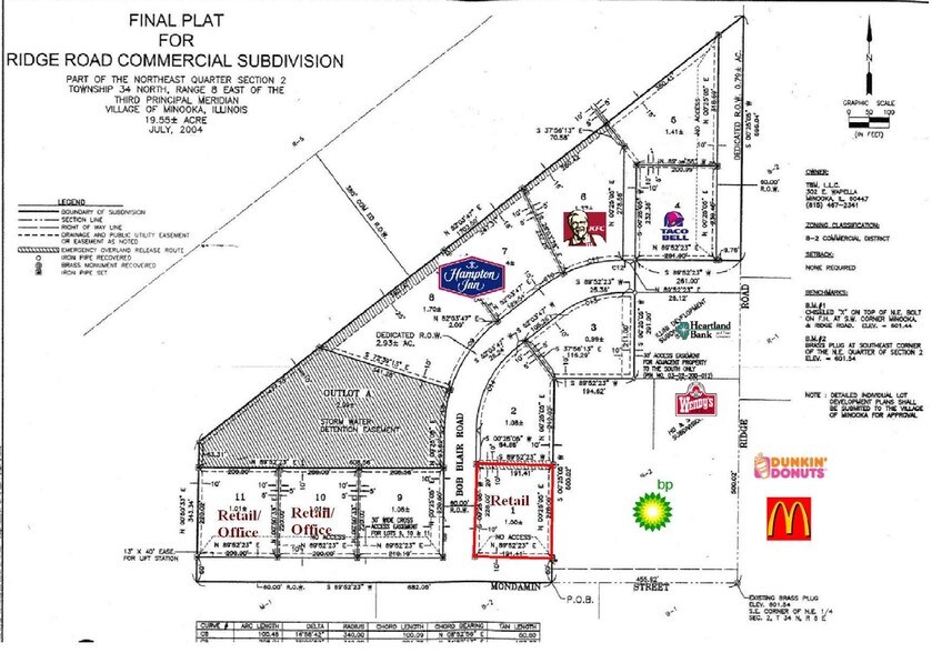
Bob Blair Rd
Minooka, IL 60447
Minooka Rd · Terrain À vendre
·
1,00 AC


Certaines informations ont été traduites automatiquement.
Faits saillants de l'investissement
- Zone très achalandée
- Lot d'angle
Résumé de l'annonce
Achats au détail communautaires. La propriété est zonée B-2. Excellent emplacement pour le commerce de détail, le bureau et l'automobile.
Faits sur la propriété
1 Lot disponible
Lot
| Prix | 683 525 $ CAD | Taille du lot | 1,00 AC |
| Prix par AC | 683 525,03 $ CAD |
| Prix | 683 525 $ CAD |
| Prix par AC | 683 525,03 $ CAD |
| Taille du lot | 1,00 AC |
Terrain d'angle dans la zone à venir.
Description
Situé près de Hampton Inn & Suites et du Marriott Towne Place Suites. Près de l'échangeur I-80. Beaucoup de potentiel pour ce lot de coin !
Impôts fonciers
| Numéro de lot | 03-02-277-001 | Évaluation des bâtiments | 0 $ CAD |
| Évaluation du terrain | 14 422 $ CAD | Évaluation totale | 14 422 $ CAD |
Impôts fonciers
Numéro de lot
03-02-277-001
Évaluation du terrain
14 422 $ CAD
Évaluation des bâtiments
0 $ CAD
Évaluation totale
14 422 $ CAD
1 de 4
Vidéos
Visite extérieure 3D Matterport
Visite 3D Matterport
Photos
Vue depuis la rue
Rue
Carte
