Votre courriel a été envoyé.
Certaines informations ont été traduites automatiquement.
Faits saillants de l'investissement
- Located In The Buckwalter Place Master Planned Community
- Anchor Tenants Include Kroger, Publix, Evicore Healthcare, St. Joseph/Candler
- Entitlements for 24 parking spaces that adjoin the site.
Résumé de l'annonce
surrounded by strong traffic generators; Southern Barrel Brewing Company, Station 300 and directly across the
internal road (Innovation Drive) from the Publix anchored shopping center. The parcel has entitlements for 24 parking
spaces that adjoin the property making efficient use of the land.
Faits sur la propriété
1 Lot disponible
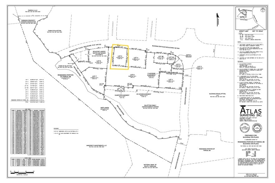
Lot 5
| Prix | 773 886 $ CAD | Taille du lot | 0,33 AC |
| Prix par AC | 2 345 109,49 $ CAD |
| Prix | 773 886 $ CAD |
| Prix par AC | 2 345 109,49 $ CAD |
| Taille du lot | 0,33 AC |
This .33 acre commercial site is one of the highest profile commercial parcels remaining in the Bluffton Market. It is surrounded by strong traffic generators; Southern Barrel Brewing Company, Station 300, Publix, Kroger.
Description
The site is located in one of the most dynamic retail and business hubs in the Town of Bluffton. Buckwalter Place is a 94 acre Master Planned mixed-use community along Buckwalter & Bluffton Parkways just over 1 mile south of Highway 278 which connects I-95 to Hilton Head Island. Buckwalter Place is anchored with two major grocery chains, Kroger and Publix Supermarkets which support this rapidly growing and affluent population with Average Household In comes in excess of $118,000. Buckwalter Place is also home to numerous restaurants and entertainment venues making it a destination for one-stop shopping. Many businesses have selected Buckwalter Place as their Bluffton location of choice, including; Evicore Healthcare, Saint Joseph Candler Medical Center, the Low Country Culinary Institute and Technical College and various financial institutions. These companies not only support the retail establishments in Buckwalter Place but the thriving residential community which surrounds the development.
Présenté par
Buckwater Pl
Hmm, il semble y avoir eu une erreur lors de l’envoi de votre message. Veuillez réessayer.
Merci! Votre message a été envoyé.




