Se Connecter/S’inscrire
Votre courriel a été envoyé.
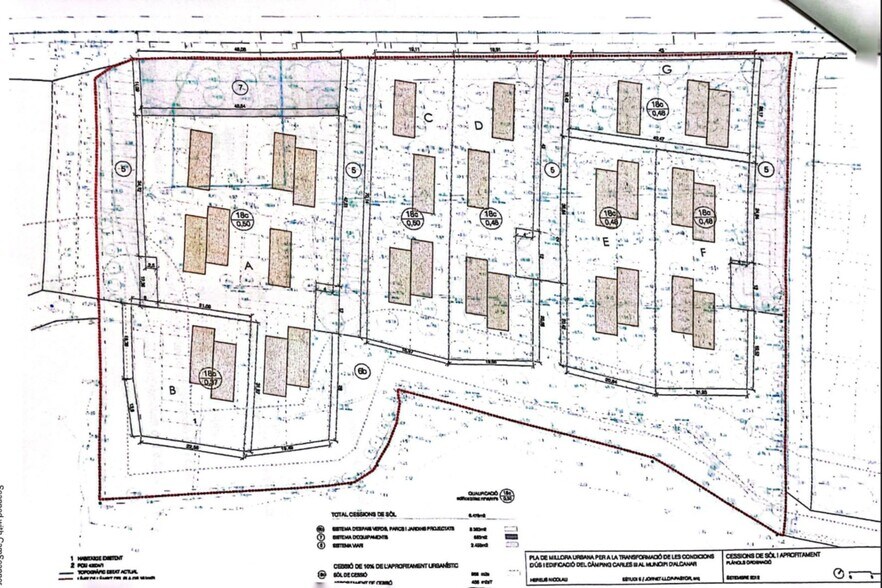
Carrer Cn 340 Venta Nova, 2 Immeuble de 5 855 pi² • Spécialité • À vendre 3 237 075 $ CAD • Alcanar, Tarragona 43530


Certaines informations ont été traduites automatiquement.
FAITS SAILLANTS DE L'INVESTISSEMENT
- Terreno urbano frente al mar en Las Casas de Alcanar.
- Ubicación privilegiada en la Bahía dels Alfacs.
- Posibilidad de desarrollo residencial o hotelero.
- Proyecto ideal para inversión turística en el Delta del Ebro.
RÉSUMÉ DE L'ANNONCE
Una oportunidad única para inversores y promotores en una de las ubicaciones más privilegiadas del litoral catalán.
Este terreno urbano de 16.161 m2 se encuentra en primera línea de mar, en la exclusiva zona de Las Casas de Alcanar, dentro de la reconocida Bahía dels Alfacs, un enclave natural de gran belleza y tranquilidad en el Delta del Ebro.
El solar ofrece un potencial excepcional para el desarrollo de viviendas unifamiliares o, sujeto a estudio urbanístico, la posibilidad de reconvertirse en un proyecto hotelero de alto valor añadido. Su ubicación frente al mar, en una zona residencial consolidada y bien comunicada, lo convierte en una inversión estratégica con gran proyección turística y residencial.
La parcela cuenta con vistas despejadas, acceso directo desde vía urbana, y una superficie edificable de 544 m² actualmente registrada, con posibilidad de ampliación según normativa local. La certificación energética está en trámite, y el régimen de propiedad es libre, lo que facilita la compraventa sin restricciones.
Este terreno urbano de 16.161 m2 se encuentra en primera línea de mar, en la exclusiva zona de Las Casas de Alcanar, dentro de la reconocida Bahía dels Alfacs, un enclave natural de gran belleza y tranquilidad en el Delta del Ebro.
El solar ofrece un potencial excepcional para el desarrollo de viviendas unifamiliares o, sujeto a estudio urbanístico, la posibilidad de reconvertirse en un proyecto hotelero de alto valor añadido. Su ubicación frente al mar, en una zona residencial consolidada y bien comunicada, lo convierte en una inversión estratégica con gran proyección turística y residencial.
La parcela cuenta con vistas despejadas, acceso directo desde vía urbana, y una superficie edificable de 544 m² actualmente registrada, con posibilidad de ampliación según normativa local. La certificación energética está en trámite, y el régimen de propiedad es libre, lo que facilita la compraventa sin restricciones.
FAITS SUR LA PROPRIÉTÉ
| Prix | 3 237 075 $ CAD | Classe d’immeuble | C |
| Prix par pi² | 552,82 $ CAD | Taille du lot | 3,99 AC |
| Type de vente | Investissement ou propriétaire utilisateur | Taille du bâtiment | 5 856 pi² |
| Condition de vente | Propriété à inoccupation élevée | Nombre d’étages | 2 |
| Type de propriété | Spécialité | Année de construction | 1960 |
| Prix | 3 237 075 $ CAD |
| Prix par pi² | 552,82 $ CAD |
| Type de vente | Investissement ou propriétaire utilisateur |
| Condition de vente | Propriété à inoccupation élevée |
| Type de propriété | Spécialité |
| Classe d’immeuble | C |
| Taille du lot | 3,99 AC |
| Taille du bâtiment | 5 856 pi² |
| Nombre d’étages | 2 |
| Année de construction | 1960 |
1 1
1 de 3
VIDÉOS
VISITE EXTÉRIEURE 3D MATTERPORT
VISITE 3D MATTERPORT
PHOTOS
VUE DEPUIS LA RUE
RUE
CARTE
1 de 1
Présenté par
Carrer Cn 340 Venta Nova, 2
Vous êtes déjà membre? Connectez-vous
Hmm, il semble y avoir eu une erreur lors de l’envoi de votre message. Veuillez réessayer.
Merci! Votre message a été envoyé.
