Se Connecter/S’inscrire
Votre courriel a été envoyé.
Cascade Creek NW rd - Cascade Creek Rd NW - Up to 3.4 Acres Lot • Terrain industriel • 3,37 Acres • 4 109 220 $ CAD • Rochester, MN 55901

Certaines informations ont été traduites automatiquement.
Faits saillants de l'investissement
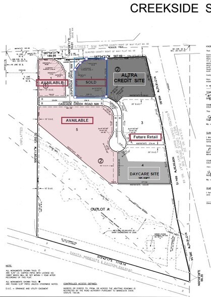
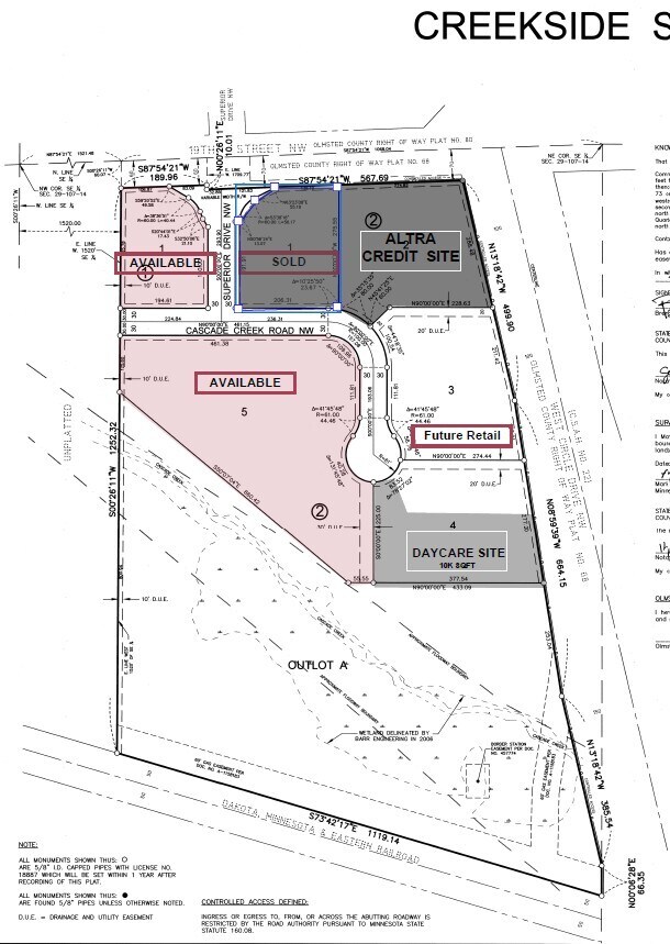
- 4.32-acre site zoned M1 Mixed Commercial-Industrial, offering development flexibility.
- Located 5 miles from Downtown Rochester with strong transportation links.
- High daily traffic volumes support visibility and business exposure.
- Easy access to 19th Street NW and CR-22 for convenient regional connectivity.
- Close proximity to major retailers, including Costco, Home Depot, and Target.
- Concept site plan accommodates a two-story, 40,000 SF office building.
Résumé de l'annonce
This 3.37-acre land parcel is available within the Creekside Development in Northwest Rochester, MN. Zoned M1 for Mixed Commercial-Industrial use, the property provides extensive flexibility for development projects, making it suitable for a wide range of business applications, including office and light industrial facilities. The lot has a maximum floor area ratio of 0.50 (Type 1), supporting the potential for a substantial building footprint with ample site design opportunities.
Faits sur la propriété
1 Lot disponible
Lot
| Prix | 4 109 220 $ CAD | Taille du lot | 3,37 AC |
| Prix par AC | 1 219 353,12 $ CAD |
| Prix | 4 109 220 $ CAD |
| Prix par AC | 1 219 353,12 $ CAD |
| Taille du lot | 3,37 AC |
4,32 acres disponibles de biens immobiliers de premier choix dans le nord-ouest de Rochester. Disponible à l'achat ou travaillez avec nous pour développer une construction adaptée à vos besoins spécifiques. Le zonage LI permet une certaine souplesse dans l'utilisation commerciale.
Description
Possibilité de réaménagement en trois (3) lots distincts pour créer des lots de 1,5 à 2 acres pour des développements distincts.
1 1
Assez practicable à pied
50/100
Exceptionnellement facile d'accès en voiture
100/100
Transports en commun limités
20/100
Moyennement praticable en vélo
70/100
Impôts fonciers
| Numéro de lot | 74.29.41.082000 | Évaluation des bâtiments | 0 $ CAD |
| Évaluation du terrain | 1 805 180 $ CAD | Évaluation totale | 1 805 180 $ CAD |
Impôts fonciers
Numéro de lot
74.29.41.082000
Évaluation du terrain
1 805 180 $ CAD
Évaluation des bâtiments
0 $ CAD
Évaluation totale
1 805 180 $ CAD
1 de 2
Vidéos
Visite extérieure 3D Matterport
Visite 3D Matterport
Photos
Vue depuis la rue
Rue
Carte
1 de 1
Présenté par
Cascade Creek NW rd - Cascade Creek Rd NW - Up to 3.4 Acres
Vous êtes déjà membre? Connectez-vous
Hmm, il semble y avoir eu une erreur lors de l’envoi de votre message. Veuillez réessayer.
Merci! Votre message a été envoyé.
