Votre courriel a été envoyé.
Center Avenue - 5.2+/- Acre Development Site Lot • Terrain commercial • 5,2 Acres • 3 010 700 $ CAD • Holly Hill, FL 32117


Certaines informations ont été traduites automatiquement.
Faits saillants de l'investissement
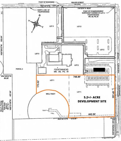
- 5.2± acre development site within the established Fountainhead campus.
- Permitted uses include medical, office, educational, fitness, and specialty retail.
- Located near a dense mix of retail, dining, and service amenities.
- Convenient access to LPGA Boulevard and major thoroughfares, including I-95.
- Existing infrastructure and internal drive access enhance development efficiency.
- ALF development may be considered for senior living opportunities.
Résumé de l'annonce
Permitted uses include a wide range of options such as corporate headquarters, professional and medical offices, outpatient clinics, adult care/PACE services, vocational academies, fitness centers, child care facilities, and specialty food or restaurant concepts. An Assisted Living Facility (ALF) may also be considered, adding flexibility for developers targeting healthcare or senior living sectors.
Located approximately 3.5 miles from Interstate 95, the property is surrounded by a robust mix of retail, dining, and service amenities, including national brands and local businesses. This location offers developers the ability to create a high-quality project in a growing market with strong demographic support and convenient access to Daytona Beach and surrounding communities.
Faits sur la propriété
1 Lot disponible
Lot 1
| Prix | 3 010 700 $ CAD | Taille du lot | 5,20 AC |
| Prix par AC | 578 980,77 $ CAD |
| Prix | 3 010 700 $ CAD |
| Prix par AC | 578 980,77 $ CAD |
| Taille du lot | 5,20 AC |
Located approximately 3.5 miles from Interstate 95, the property is surrounded by a robust mix of retail, dining, and service amenities, including national brands and local businesses.
Description
The property consists of approximately 5.2 acres located on Center Avenue in Holly Hill, Florida, within the Fountainhead complex. It is situated near LPGA Boulevard and approximately 3.5 miles from Interstate 95. The site has internal drive access and is in proximity to Ridgewood Avenue and Nova Road. Zoning is MPUD, and the parcel number is 4242-16-00-0010.
Impôts fonciers
| Numéro de lot | 4242-16-00-0010 | Évaluation des bâtiments | 0 $ CAD |
| Évaluation du terrain | 325 324 $ CAD | Évaluation totale | 325 324 $ CAD |
Impôts fonciers
Présenté par
Center Avenue - 5.2+/- Acre Development Site
Hmm, il semble y avoir eu une erreur lors de l’envoi de votre message. Veuillez réessayer.
Merci! Votre message a été envoyé.
