Votre courriel a été envoyé.
Chadbourne & Cordelia Rd Lot • Terrain industriel • 2,25 Acres • Fairfield, CA 94534



Certaines informations ont été traduites automatiquement.
FAITS SAILLANTS DE L'INVESTISSEMENT
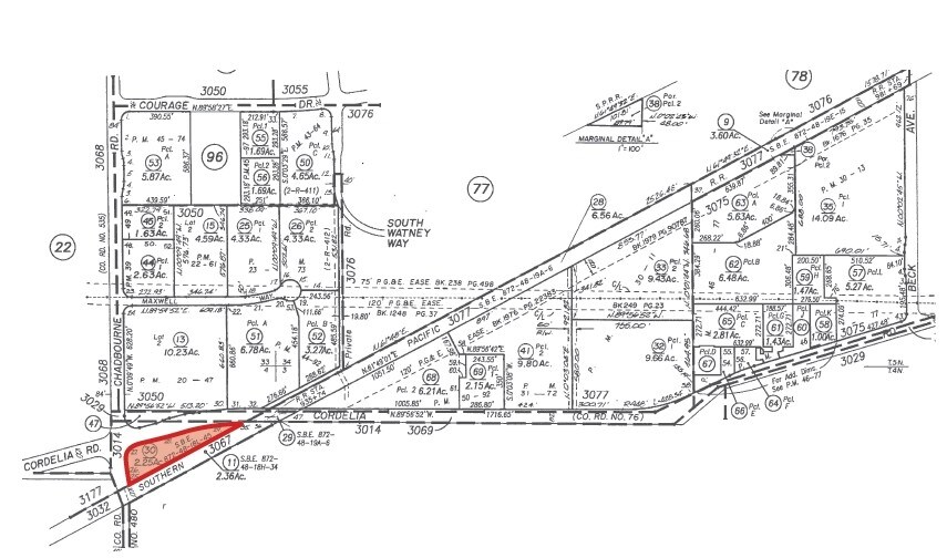
- Superficie : environ ±2,25 acres brutes
RÉSUMÉ DE L'ANNONCE
Accès : chemin Chadbourne/chemin Cordelia
Zonage : Industrie légère (IL) - Ville de Fairfield
Dimensions : ±936 pi le long du chemin de fer du Pacifique Sud x ±224 pi le long du chemin Chadbourne (irrégulier)
NUMÉRO D'APPEL : 0028-230-300
Services publics : eau de 12 po - chemin Cordelia @ chemin Chadbourne
égout de 30 po - chemin Cordelia
égout de 15 po - chemin Cordelia @ chemin Chadbourne
Épuration des eaux pluviales de 12 po et 48 po - chemin Cordelia @ chemin Chadbourne
À moins d'un (1) mille de la route 12/I-80
Prix de vente : Contactez les courtiers
FAITS SUR LA PROPRIÉTÉ
| Type de vente | Investissement | Sous-type de propriété | Terrain industriel |
| Nombre de lots | 1 | Taille totale du lot | 2,25 AC |
| Type de propriété | Terrain | Numéro de lot | 0028-230-300 |
| Zonage | LI - Industries légères | ||
| Type de vente | Investissement |
| Nombre de lots | 1 |
| Type de propriété | Terrain |
| Sous-type de propriété | Terrain industriel |
| Taille totale du lot | 2,25 AC |
| Zonage | LI - Industries légères |
| Numéro de lot | 0028-230-300 |
1 LOT DISPONIBLE
Lot 1
| Taille du lot | 2,25 AC |
| Taille du lot | 2,25 AC |
Light Industrial lot
DESCRIPTION
Superficie : environ ±2,25 acres brutes Accès : Route Chadbourne / Route Cordelia Zonage : Industriel léger (IL) - Ville de Fairfield Dimensions : ±936’ le long du chemin de fer Southern Pacific x ±224’ le long de la route Chadbourne (forme irrégulière) Numéro de parcelle (APN) : 0028-230-300 Services publics : • Eau 12” - Route Cordelia @ Route Chadbourne • Égout 30” - Route Cordelia • Égout 15” - Route Cordelia @ Route Chadbourne • Drain pluvial 12” et 48” - Route Cordelia @ Route Chadbourne À moins d’un (1) mile de l’autoroute Hwy. 12 / I-80
Présenté par
Chadbourne & Cordelia Rd
Hmm, il semble y avoir eu une erreur lors de l’envoi de votre message. Veuillez réessayer.
Merci! Votre message a été envoyé.
